New Search Family, Subfamily and Tribe List

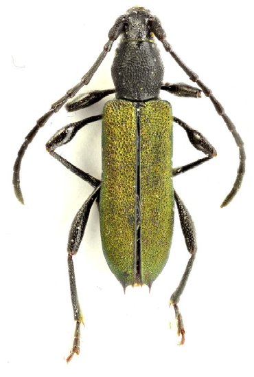
SubFamily Cerambycinae

Tribe Cleomenini
Dere shavrini Barsevskis & Saulite 2020

Specimen Type: holotype
Sex: m
Institution: DUBC Daugavpils University, Coleopterological Research Center, Latvia
Photographer: Arvids Barsevskis
Collection Location: Roxas, Palawan Island, Philippines
75554

130425