 Barsevskis Saulite DUBC Roxas Palawan Island Philippines.jpg)
Specimen Type: holotype Sex: m Institution: DUBC Daugavpils University, Coleopterological Research Center, Latvia Photographer: Arvids Barsevskis Collection Location: Roxas, Palawan Island, Philippines 75555
|
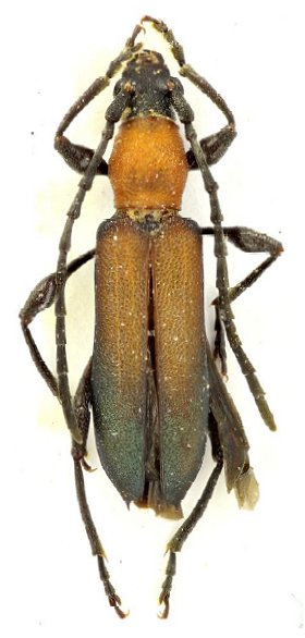
 Barsevskis Saulite DUBC Roxas Palawan Island Philippines.jpg)
Specimen Type: paratype Institution: DUBC Daugavpils University, Coleopterological Research Center, Latvia Photographer: Arvids Barsevskis Collection Location: Roxas, Palawan Island, Philippines 75556
|