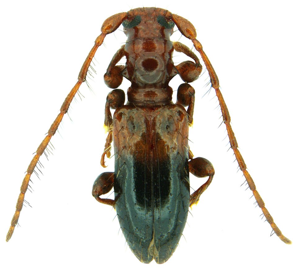
_Sreedevi_Ghate_NBAIR_Pasighat_Arunachal_Pradesh_India.jpg)
Specimen Type: holotype Sex: f Institution: NBAIR Nat'l Bureau Ag Insect Research, Bengaluru Photographer: Kolla Sreedevi Collection Location: Pasighat, Arunachal Pradesh, India 75533
|
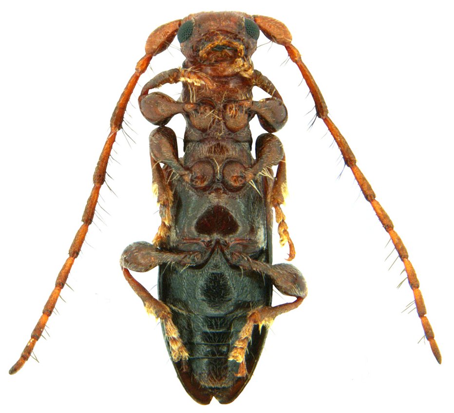
_Sreedevi_Ghate_NBAIR_Pasighat_Arunachal_Pradesh_India.jpg)
Specimen Type: holotype Sex: f Institution: NBAIR Nat'l Bureau Ag Insect Research, Bengaluru Photographer: Kolla Sreedevi Collection Location: Pasighat, Arunachal Pradesh, India 75534
|
_Sreedevi_Ghate_NBAIR_Pasighat_Arunachal_Pradesh_India.jpg)
Specimen Type: holotype Sex: f Institution: NBAIR Nat'l Bureau Ag Insect Research, Bengaluru Photographer: Kolla Sreedevi Collection Location: Pasighat, Arunachal Pradesh, India 75535
|
|