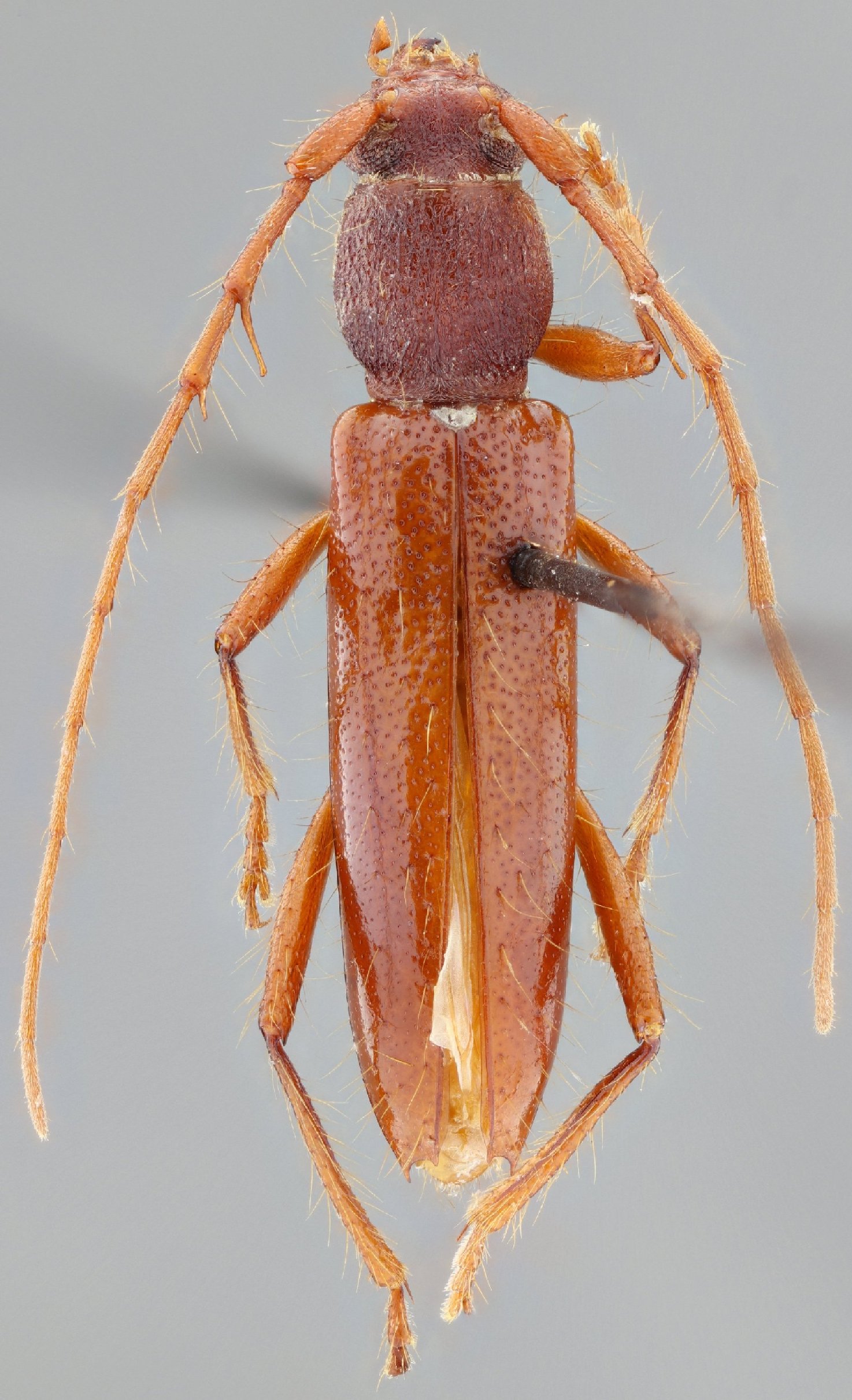
_Ling_FSCA_Hwy_186_17kmW_Hwy_307_QRoo_Mex_SS.jpg)
Specimen Type: holotype Sex: f Institution: FSCA Florida State Collection of Arthropods, Gainesville, FL, USA Photographer: Antonio Santos-Silva Collection Location: Highway 186, 17 km W Highway 307, Quintana Roo, Mexico 75441
|
_Ling_FSCA_Hwy_186_17kmW_Hwy_307_QRoo_Mex_SS.jpg)
Specimen Type: holotype Sex: f Institution: FSCA Florida State Collection of Arthropods, Gainesville, FL, USA Photographer: Antonio Santos-Silva Collection Location: Highway 186, 17 km W Highway 307, Quintana Roo, Mexico 75442
|
_Ling_FSCA_Hwy_186_17kmW_Hwy_307_QRoo_Mex_SS.jpg)
Specimen Type: holotype Sex: f Institution: FSCA Florida State Collection of Arthropods, Gainesville, FL, USA Photographer: Antonio Santos-Silva Collection Location: Highway 186, 17 km W Highway 307, Quintana Roo, Mexico 75443
|
_Ling_FSCA_Hwy_186_17kmW_Hwy_307_QRoo_Mex_SS.jpg)
Specimen Type: holotype Sex: f Institution: FSCA Florida State Collection of Arthropods, Gainesville, FL, USA Photographer: Antonio Santos-Silva Collection Location: Highway 186, 17 km W Highway 307, Quintana Roo, Mexico 75444
|
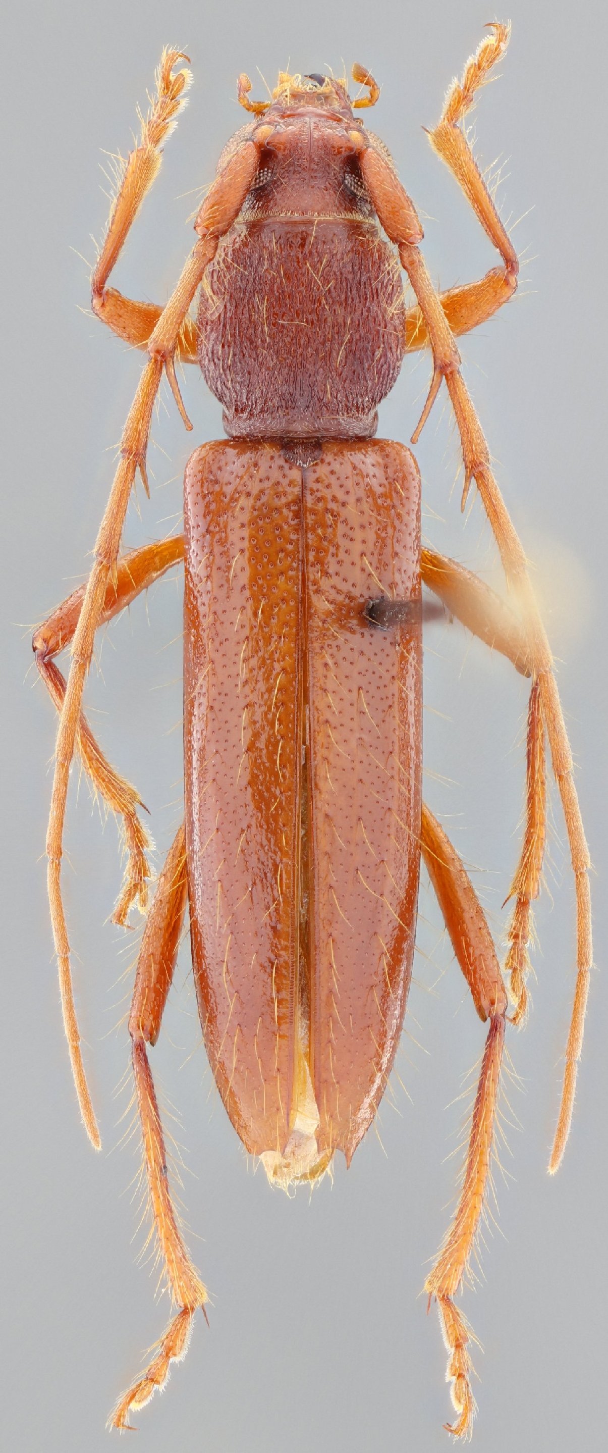
_Ling_MZSP_Hwy_186_17kmW_Hwy_307_QRoo_Mex_SS.jpg)
Specimen Type: paratype Sex: m Institution: MZSP Museu de Zoologia da Universidade de São Paulo, Brazil Photographer: Antonio Santos-Silva Collection Location: Highway 186, 17 km W Highway 307, Quintana Roo, Mexico 75445
|
 Lingafelter et al Skillman coll 0.4 km S turn to Carolina, Yucatan, Mexico.jpg)
Sex: f Institution: Skillman Collection Photographer: Antonio Santos-Silva Collection Location: 0.4 km S turn to Carolina, Yucatan, Mexico 91542
|
|