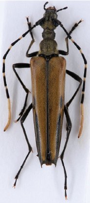
_Tichy_Lin_IZAS_Yubeng_Pass_Kawagebo_Deqin_Yunnan_China.jpg)
Specimen Type: holotype Sex: m Institution: IZAS Zoological Institute, Chinese Academy of Sciences, Beijing, China Photographer: Tomas Tichy Collection Location: Yubeng Pass, Kawagebo, Deqin, Yunnan Province, China 75096
|
_Tichy_Lin_IZAS_Yubeng_Pass_Kawagebo_Deqin_Yunnan_China.jpg)
Specimen Type: holotype Sex: m Institution: IZAS Zoological Institute, Chinese Academy of Sciences, Beijing, China Photographer: Tomas Tichy Collection Location: Yubeng Pass, Kawagebo, Deqin, Yunnan Province, China 75097
|
_Tichy_coll_Lin_Yubeng_Pass_Kawagebo_Deqin_Yunnan_China.jpg)
Specimen Type: paratype Sex: f Institution: Tichư Collection Photographer: Tomas Tichy Collection Location: Yubeng Pass, Kawagebo, Deqin, Yunnan Province, China 75098
|
_Tichy_coll_Lin_Yubeng_Pass_Kawagebo_Deqin_Yunnan_China.jpg)
Specimen Type: paratype Sex: f Institution: Tichư Collection Photographer: Tomas Tichy Collection Location: Yubeng Pass, Kawagebo, Deqin, Yunnan Province, China 75099
|
|