_Viktora_coll_Nanping-Juizhaigou_Sichuan_Province_China.jpg)
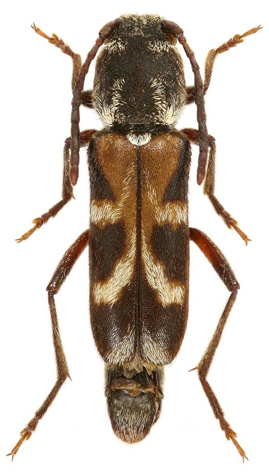
Specimen Type: holotype Sex: f Institution: Viktora Collection Photographer: Petr Viktora Collection Location: Nanping-Juizhaigou, Sichuan Province, China 75040
|
_Viktora_coll_Nanping-Juizhaigou_Sichuan_Province_China.jpg)
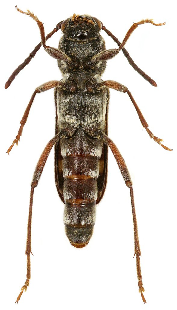
Specimen Type: holotype Sex: f Institution: Viktora Collection Photographer: Petr Viktora Collection Location: Nanping-Juizhaigou, Sichuan Province, China 75041
|