New Search Family, Subfamily and Tribe List

SubFamily Cerambycinae

Tribe Clytini
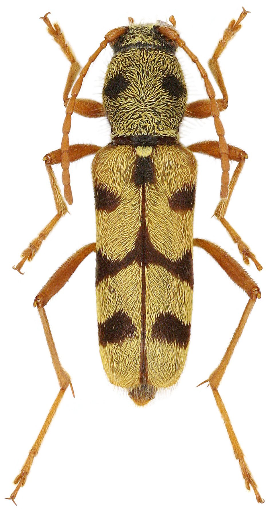
Xylotrechus dembai Viktora 2020

Specimen Type: holotype
Sex: f
Institution: Dembickyi Collection
Photographer: Petr Viktora
Collection Location: vic Dirang, Arunachal Pradesh, India
75036

130425