New Search Family, Subfamily and Tribe List

SubFamily Cerambycinae

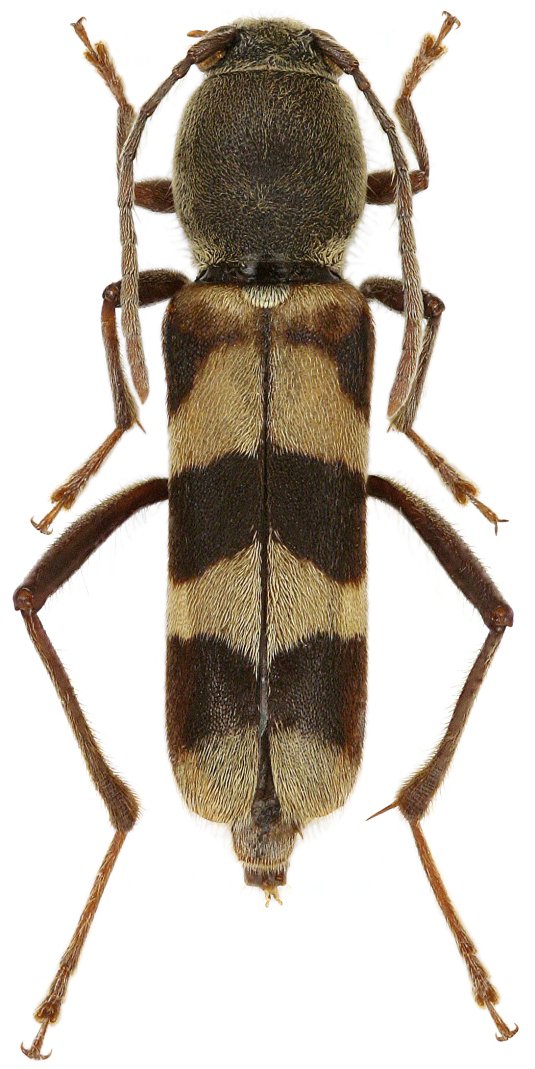
Tribe Clytini
Perissus lubosi Viktora 2020

Specimen Type: holotype
Sex: f
Institution: Dembickyi Collection
Photographer: Petr Viktora
Collection Location: vicinity of Hunli, Araunachal Pradesh, India
75020

130425