New Search Family, Subfamily and Tribe List

SubFamily Cerambycinae

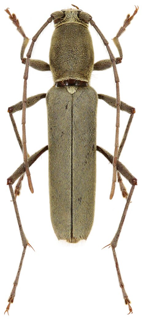
Tribe Clytini
Demonax temperatus Viktora 2020

Specimen Type: holotype
Sex: f
Institution: Dembickyi Collection
Photographer: Petr Viktora
Collection Location: Shillong Peak, Khasi Hills region, Meghalaya, India
75018

130425