New Search Family, Subfamily and Tribe List

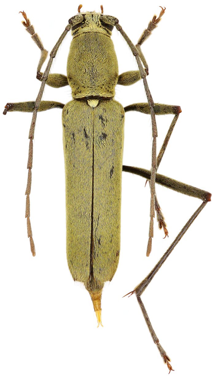
SubFamily Cerambycinae

Tribe Clytini
Demonax subpiceus Viktora 2020

Specimen Type: holotype
Sex: f
Institution: Viktora Collection
Photographer: Petr Viktora
Collection Location: Lien Nat'l Park, Ban Khoang, Hoang, Lao Cai Province, Vietnam
75017

130425