New Search Family, Subfamily and Tribe List

SubFamily Cerambycinae

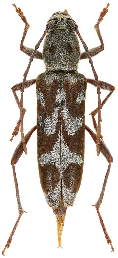
Tribe Clytini
Demonax praesignis Viktora 2020

Specimen Type: holotype
Sex: f
Institution: Viktora Collection
Photographer: Petr Viktora
Collection Location: Jintang, Sichuan Province, China
75015

130425