New Search Family, Subfamily and Tribe List

SubFamily Cerambycinae

Tribe Clytini
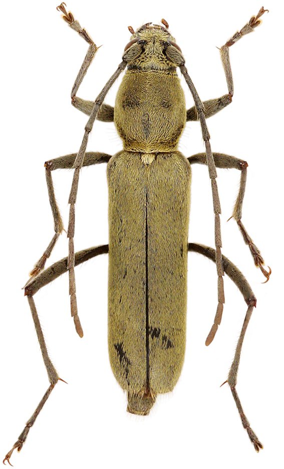
Demonax montivagus Viktora 2020

Specimen Type: holotype
Sex: f
Institution: Viktora Collection
Photographer: Petr Viktora
Collection Location: Mt Gaoligongshan, Xiongdang Village, Gongshan County, Yunnan, China
75012

130425