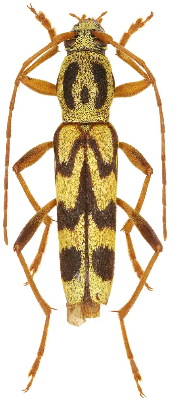
_Viktora_coll_Tam_Dao_Vinh_Phuc_Prov_Vietnam_Viktora_pic.jpg)
Specimen Type: holotype Sex: m Institution: Viktora Collection Photographer: Petr Viktora Collection Location: Tam Dao, Vinh Phuc Province, Vietnam 75002
|
_Viktora_coll_52kmSW_Lang_Son_Lang_Son_Prov_Vietnam_Viktora_pic.jpg)
Specimen Type: paratype Sex: f Institution: Viktora Collection Photographer: Petr Viktora Collection Location: 52 km SW Lang Son, Lang Son Province, Vietnam 75003
|