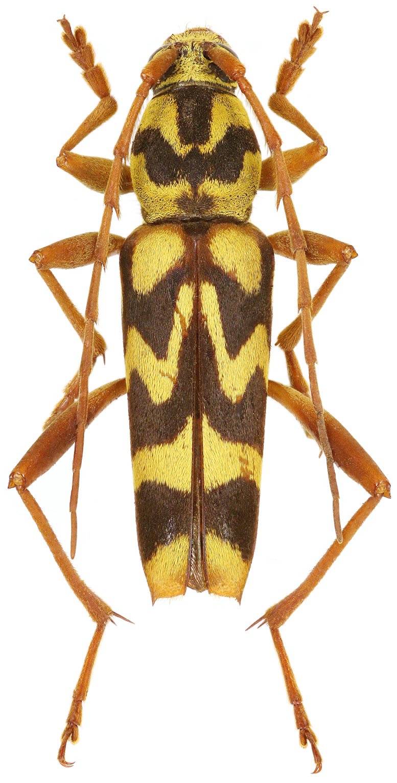
_Viktora_coll_Nueva_Vizcaya_N_Luzon_Philippines.jpg)
Specimen Type: holotype Sex: m Institution: Viktora Collection Photographer: Petr Viktora Collection Location: Nueva Vizcaya, N Luzon, Philippines 75000
|
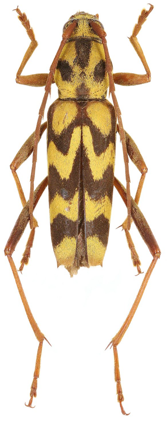
_Viktora_coll_Nueva_Vizcaya_N_Luzon_Philippines.jpg)
Specimen Type: paratype Sex: f Institution: Viktora Collection Photographer: Petr Viktora Collection Location: Nueva Vizcaya, N Luzon, Philippines 75001
|