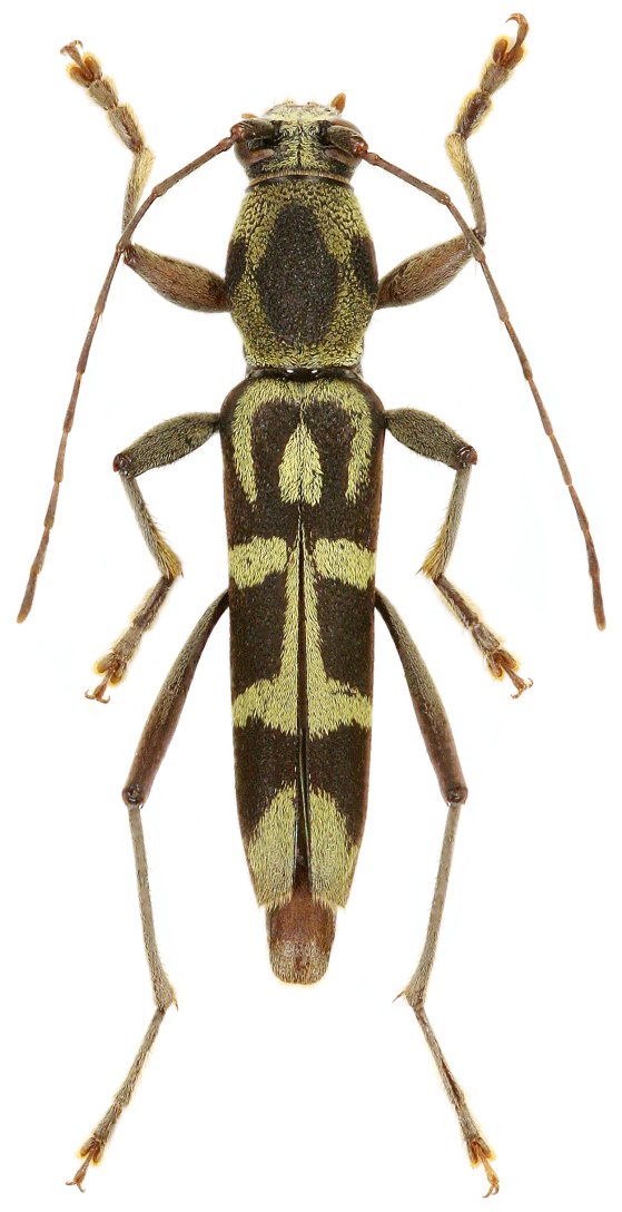
_Viktora_coll_Son_Tra_Mt_Da_Nang_Prov_Vietnam.jpg)
Specimen Type: holotype Sex: m Institution: Viktora Collection Photographer: Petr Viktora Collection Location: Son Tra Mountain, Da Nang Province, Vietnam 75032
|
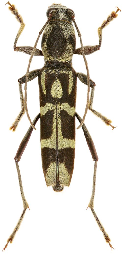
_Viktora_coll_Son_Tra_Mt_Da_Nang_Prov_Vietnam.jpg)
Specimen Type: paratype Sex: f Institution: Viktora Collection Photographer: Petr Viktora Collection Location: Son Tra Mountain, Da Nang Province, Vietnam 75033
|