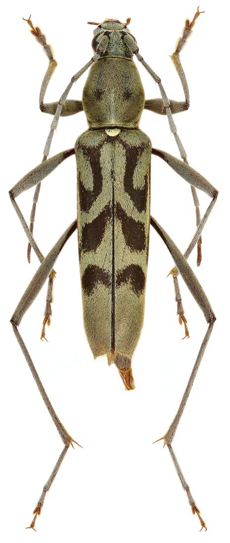
_Viktora_coll_Mt_Phu_Pane_Ban_Saluei_Village_Houaphanh_Province_Laos.jpg)
Specimen Type: holotype Sex: m Institution: Viktora Collection Photographer: Petr Viktora Collection Location: Mt Phu Pane, Ban Saluei Village, Hou Phan Province, Laos 75026
|
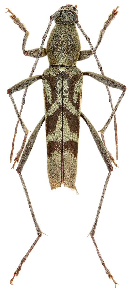
_Viktora_coll_Mt_Phu_Pane_Ban_Saluei_Village_Houaphanh_Province_Laos.jpg)
Specimen Type: paratype Sex: f Institution: Viktora Collection Photographer: Petr Viktora Collection Location: Mt Phu Pane, Ban Saluei Village, Hou Phan Province, Laos 75027
|