_Viktora_coll_Quang_Son_Dak_Nong_Province_Vietnam.jpg)
Specimen Type: holotype Sex: m Institution: Viktora Collection Photographer: Petr Viktora Collection Location: Quang Son, Dak Nong Province, Vietnam 75024
|
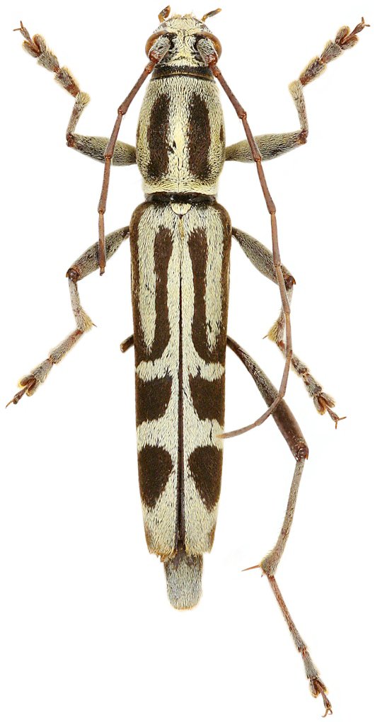
_Viktora_coll_Dambri_Bao_Lam_Lam_Dong_Province_Vietnam.jpg)
Specimen Type: paratype Sex: f Institution: Viktora Collection Photographer: Petr Viktora Collection Location: Dambri, Bao Lam, Lam Dong Province, Vietnam 75025
|