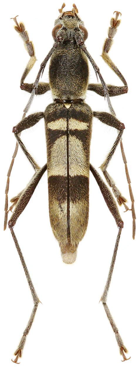
_Viktora_coll_84kmE_Gerik_Belum_Forest_Perak_Malaysia.jpg)
Specimen Type: holotype Sex: m Institution: Viktora Collection Photographer: Petr Viktora Collection Location: 84 km E Gerik, Belum Forest, Perak, Malaysia 75005
|
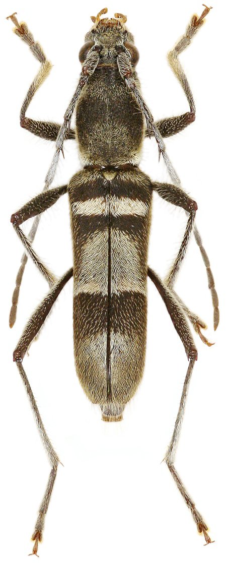
_Viktora_coll_84kmE_Gerik_Belum_Forest_Perak_Malaysia.jpg)
Specimen Type: paratype Sex: f Institution: Viktora Collection Photographer: Petr Viktora Collection Location: 84 km E Gerik, Belum Forest, Perak, Malaysia 75006
|