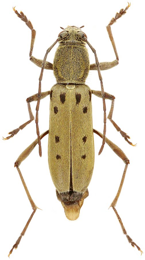
_Viktora_coll_Lijiang_Yunnan_China.jpg)
Specimen Type: holotype Sex: m Institution: Viktora Collection Photographer: Petr Viktora Collection Location: Lijiang, Yunnan Province, China 74997
|
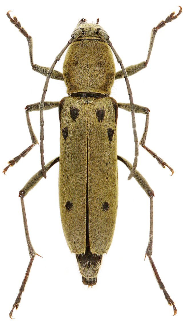
_Viktora_coll_Lijiang_Yunnan_China.jpg)
Specimen Type: paratype Sex: f Institution: Viktora Collection Photographer: Petr Viktora Collection Location: Lijiang, Yunnan Province, China 74998
|