New Search Family, Subfamily and Tribe List

SubFamily Cerambycinae

Tribe Clytini
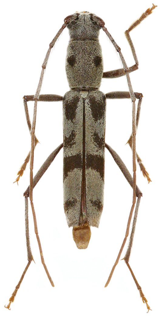
Demonax cognoscibilis Viktora 2020

Specimen Type: holotype
Sex: m
Institution: Viktora Collection
Photographer: Petr Viktora
Collection Location: Dambri, Bao Lam, Lam Dong Province, Vietnam
74994

130425