_Viktora_coll_25kmSE_Sen_Monorom_Mondulkiri_Province_Cambodia.jpg)
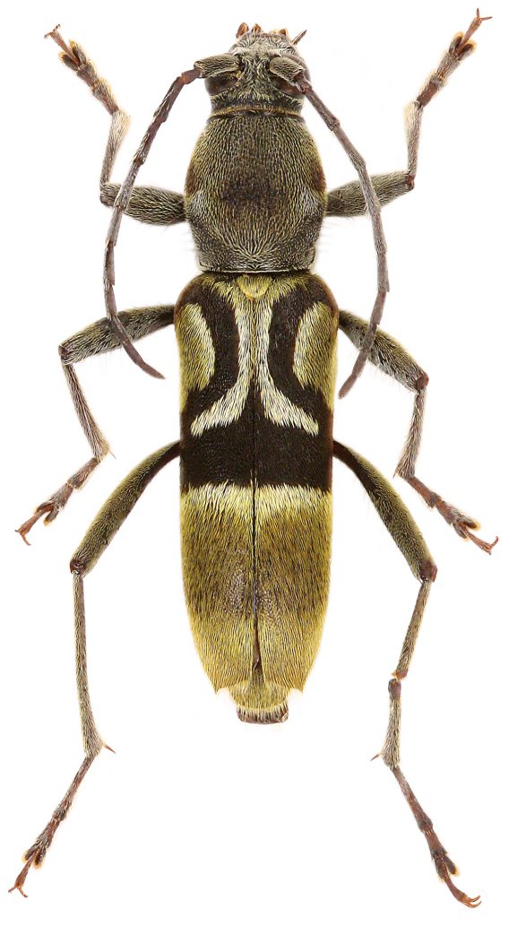
Specimen Type: holotype Sex: m Institution: Viktora Collection Photographer: Petr Viktora Collection Location: 25 km SE Sen Monorom, Mondulkiri Province, Cambodia 74987
|
_Viktora_coll_25kmSE_Sen_Monorom_Mondulkiri_Province_Cambodia.jpg)
Specimen Type: paratype Sex: m Institution: Viktora Collection Photographer: Petr Viktora Collection Location: 25 km SE Sen Monorom, Mondulkiri Province, Cambodia 74988
|