New Search Family, Subfamily and Tribe List

SubFamily Cerambycinae

Tribe Clytini
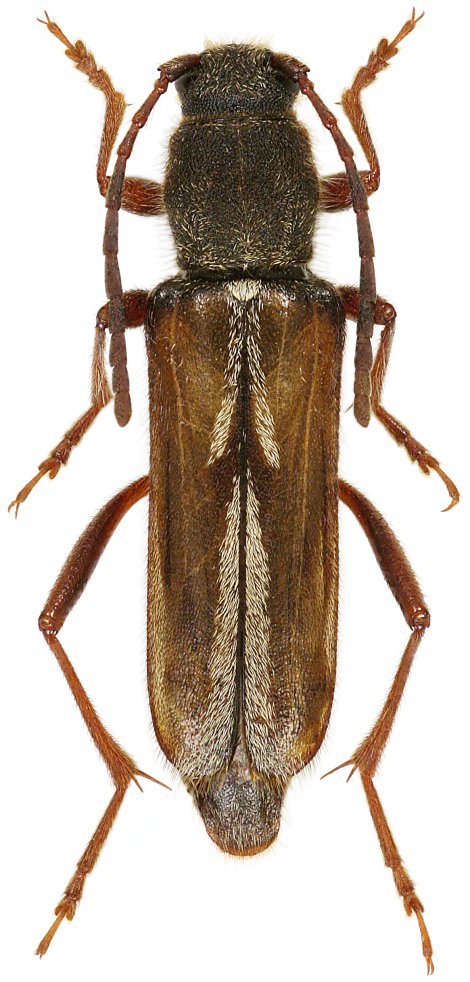
Clytus qingmaiensis Viktora 2020

Specimen Type: holotype
Sex: f
Institution: Viktora Collection
Photographer: Petr Viktora
Collection Location: Qingmai, Sichuan Province, China
74993

130425