New Search Family, Subfamily and Tribe List

SubFamily Cerambycinae

Tribe Clytini
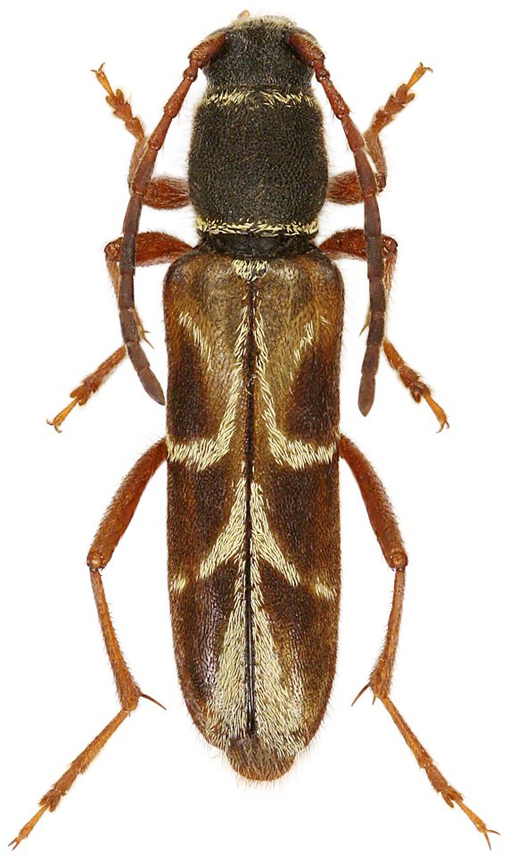
Clytus dongziensis Viktora 2020

Specimen Type: holotype
Sex: f
Institution: Viktora Collection
Photographer: Petr Viktora
Collection Location: 7 km E Dongzi, S Sichuan Province, China
74992

130425