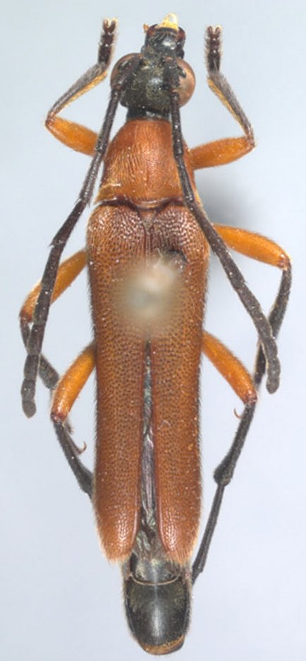
_Gutierrez_Noguera_Est_Biol_Chamela_El_Aguacero_16kmW_Ocozocoautla_Chiapas_Mex.jpg)
Specimen Type: holotype Sex: m Institution: EBC Estación de Biología Chamela, San Patricio, Jalisco, Mexico Photographer: Nayeli Gutierrez Collection Location: El Aguacero, 16 km W Ocozocoautla, Chiapas, Mexico 74423
|
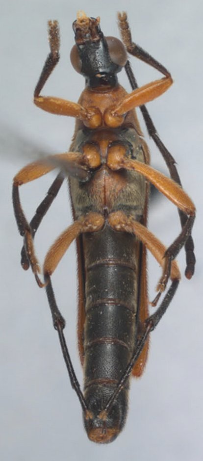
_Gutierrez_Noguera_Est_Biol_Chamela_El_Aguacero_16kmW_Ocozocoautla_Chiapas_Mex.jpg)
Specimen Type: holotype Sex: m Institution: EBC Estación de Biología Chamela, San Patricio, Jalisco, Mexico Photographer: Nayeli Gutierrez Collection Location: El Aguacero, 16 km W Ocozocoautla, Chiapas, Mexico 74424
|