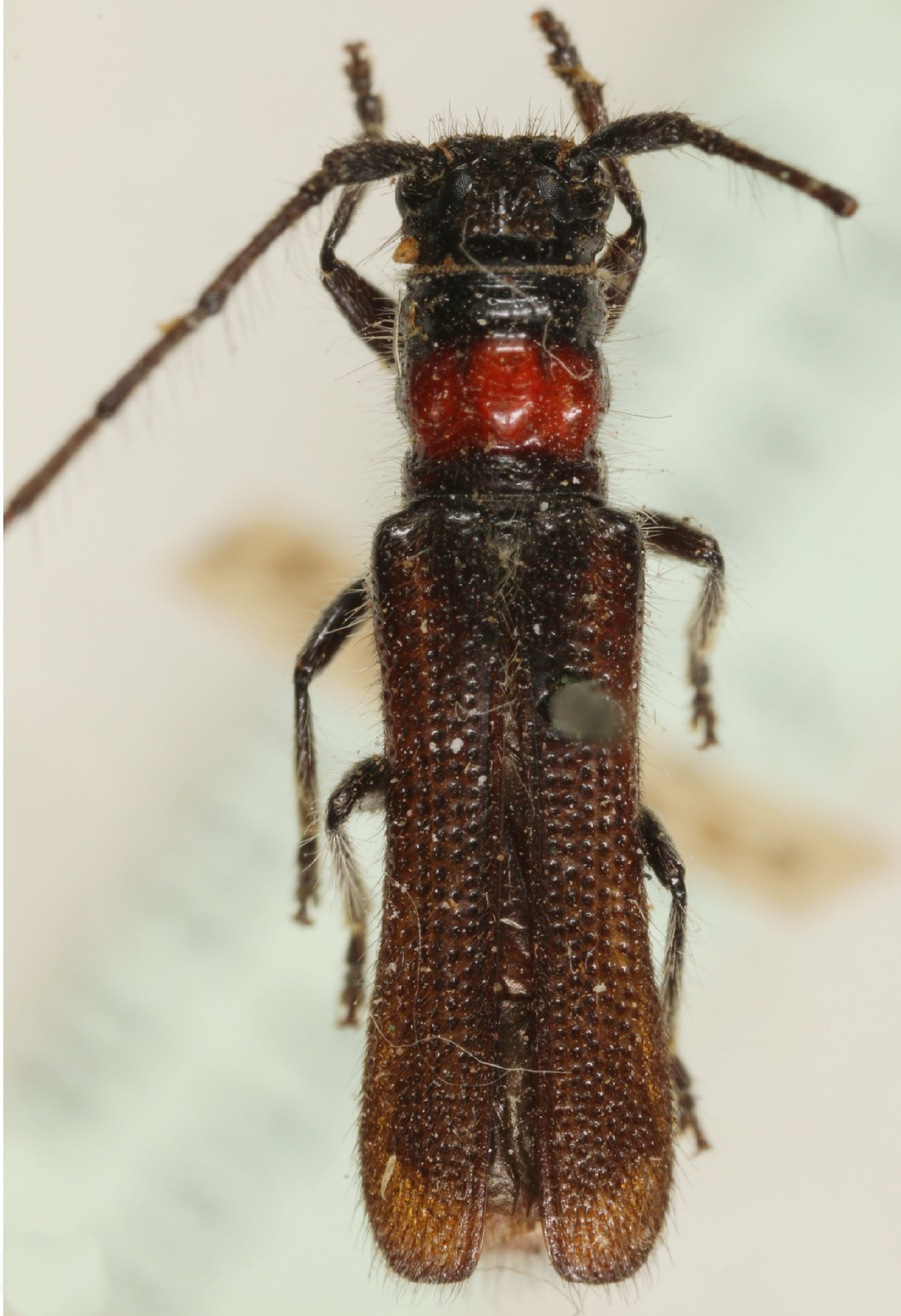
_Wappes_SS_FSCA_32miW_Iguala_Guerrero_Mexico_SS.jpg)
Specimen Type: holotype Sex: m Institution: FSCA Florida State Collection of Arthropods, Gainesville, FL, USA Photographer: Antonio Santos-Silva Collection Location: 32 mi W Iguala, Guerrero, Mexico 74263
|
_Wappes_SS_FSCA_32miW_Iguala_Guerrero_Mexico_SS.jpg)
Specimen Type: holotype Sex: m Institution: FSCA Florida State Collection of Arthropods, Gainesville, FL, USA Photographer: Antonio Santos-Silva Collection Location: 32 mi W Iguala, Guerrero, Mexico 74264
|
_Wappes_SS_FSCA_32miW_Iguala_Guerrero_Mexico_SS.jpg)
Specimen Type: holotype Sex: m Institution: FSCA Florida State Collection of Arthropods, Gainesville, FL, USA Photographer: Antonio Santos-Silva Collection Location: 32 mi W Iguala, Guerrero, Mexico 74265
|
_Wappes_SS_FSCA_32miW_Iguala_Guerrero_Mexico_SS.jpg)
Specimen Type: holotype Sex: m Institution: FSCA Florida State Collection of Arthropods, Gainesville, FL, USA Photographer: Antonio Santos-Silva Collection Location: 32 mi W Iguala, Guerrero, Mexico 74266
|
_Wappes_SS_FSCA_Huajuapan_Oaxaca_Mexico_SS.jpg)
Specimen Type: paratype Sex: f Institution: FSCA Florida State Collection of Arthropods, Gainesville, FL, USA Photographer: Antonio Santos-Silva Collection Location: Huajuapan, Oaxaca, Mexico 74267
|
_Wappes_SS_FSCA_Huajuapan_Oaxaca_Mexico_SS.jpg)
Specimen Type: paratype Sex: f Institution: FSCA Florida State Collection of Arthropods, Gainesville, FL, USA Photographer: Antonio Santos-Silva Collection Location: Huajuapan, Oaxaca, Mexico 74268
|
_Bates_Oaxaca_Mexico_Tavakilian.jpg)
Phaea rufiventris Bates Specimen Type: syntype2 Sex: m Institution: MNHN Museum of Natural History Paris, France Photographer: Gerard Tavakilian Collection Location: Oaxaca, Mexico 11992
|
|