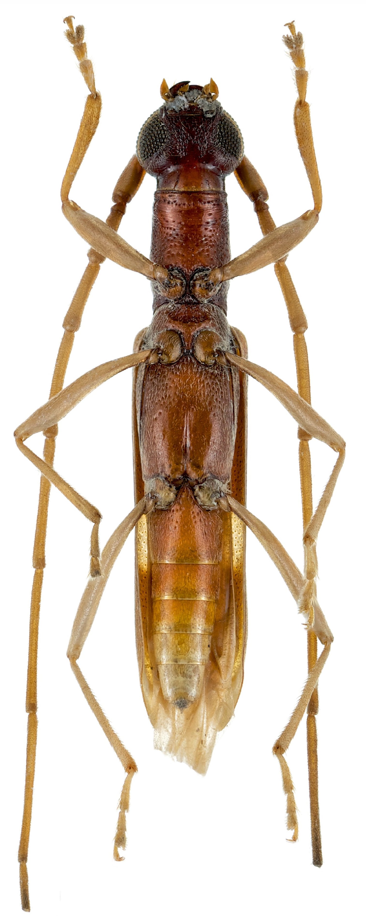
_Devesa_SS_MNHUS_Candelaria_Sierra_delRosa_Artemisa_Cuba_SD.jpg)
Specimen Type: holotype Sex: m Institution: MNHUS Museu Nat Hist, Univ de Santiago de Compostela, Spain Photographer: Sergio Devesa Collection Location: Candelaria, Sierra del Rosa, Artemisa, Cuba 74111
|
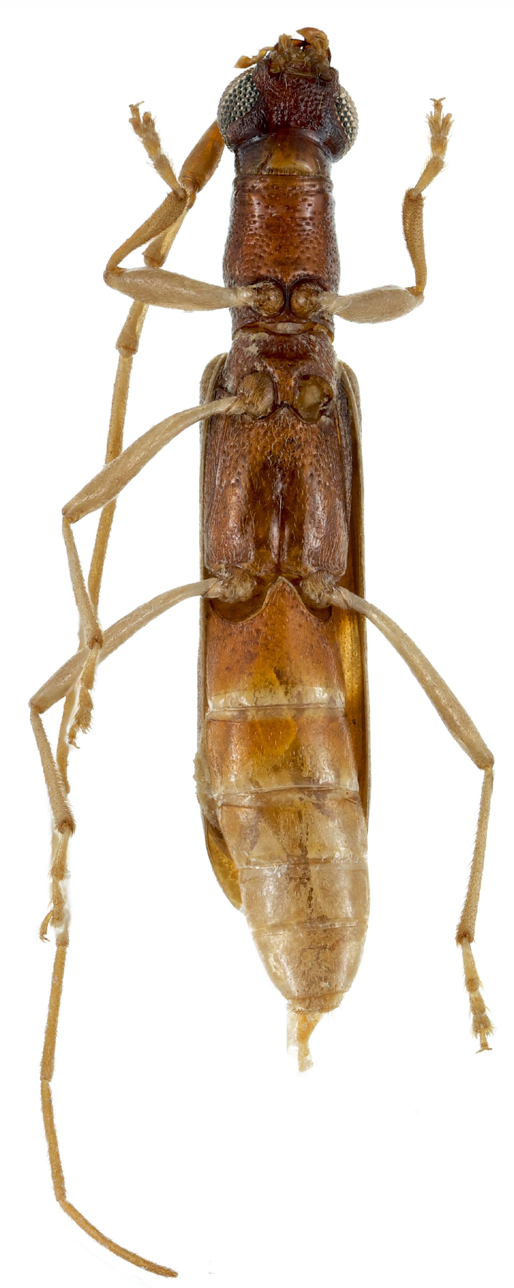
_Devesa_SS_MNHUS_Candelaria_Sierra_delRosa_Artemisa_Cuba_SD.jpg)
Specimen Type: holotype Sex: m Institution: MNHUS Museu Nat Hist, Univ de Santiago de Compostela, Spain Photographer: Sergio Devesa Collection Location: Candelaria, Sierra del Rosa, Artemisa, Cuba 74112
|
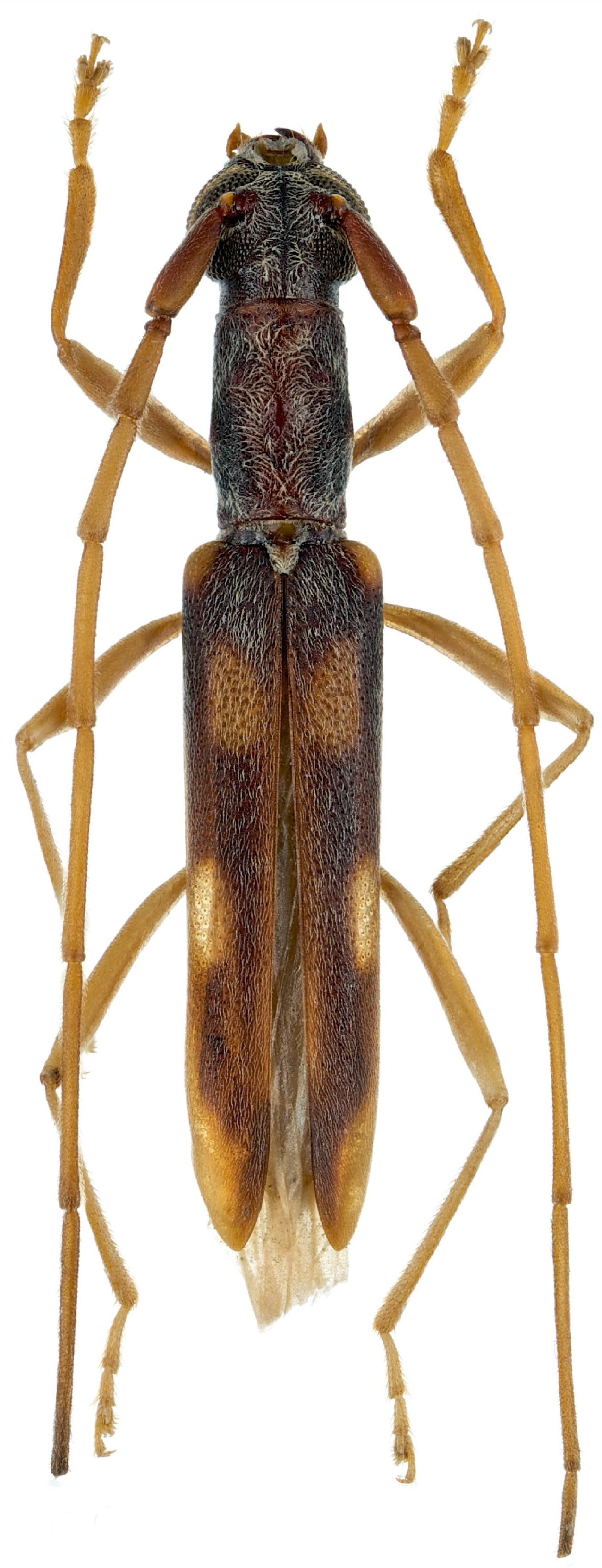
_Devesa_SS_MNHUS_Candelaria_Sierra_delRosa_Artemisa_Cuba_SD.jpg)
Specimen Type: holotype Sex: m Institution: MNHUS Museu Nat Hist, Univ de Santiago de Compostela, Spain Photographer: Sergio Devesa Collection Location: Candelaria, Sierra del Rosa, Artemisa, Cuba 74113
|
_Devesa_coll_SS_Candelaria_Sierra_delRosa_Artemisa_Cuba_SD.jpg)
Specimen Type: paratype Sex: f Institution: Devesa Collection Photographer: Sergio Devesa Collection Location: Candelaria, Sierra del Rosa, Artemisa, Cuba 74114
|
_Devesa_coll_SS_Candelaria_Sierra_delRosa_Artemisa_Cuba_SD.jpg)
Specimen Type: paratype Sex: f Institution: Devesa Collection Photographer: Sergio Devesa Collection Location: Candelaria, Sierra del Rosa, Artemisa, Cuba 74115
|
_Devesa_coll_SS_Candelaria_Sierra_delRosa_Artemisa_Cuba_SD.jpg)
Specimen Type: paratype Sex: f Institution: Devesa Collection Photographer: Sergio Devesa Collection Location: Candelaria, Sierra del Rosa, Artemisa, Cuba 74116
|
|