New Search Family, Subfamily and Tribe List

SubFamily Lepturinae

Tribe Pidoniini
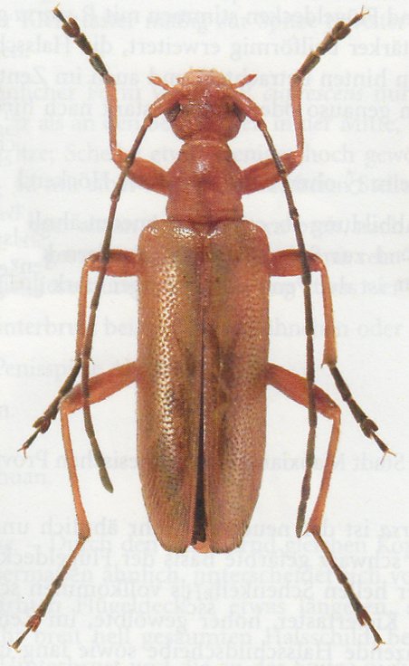
Pidonia atritarsis Holzschuh 2013

Specimen Type: holotype
Sex: m
Institution: Holzschuh Collection
Photographer: Luboš Dembický
Collection Location: Maoxian, Sichuan Province, China
74165

130425