_Danilevsky_Coll_Chatkal_River_Canyon_Kyrgystan.jpg)
Specimen Type: holotype Sex: m Institution: Danilevsky Collection Photographer: Lech Karpinski Collection Location: Chatkal River Canyon, Kyrgystan 73281
|
_Danilevsky_Coll_Chatkal_River_Canyon_Kyrgystan.jpg)
Specimen Type: holotype Sex: m Institution: Danilevsky Collection Photographer: Lech Karpinski Collection Location: Chatkal River Canyon, Kyrgystan 73282
|
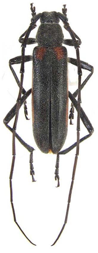
_Danilevsky_Coll_Chatkal_River_Canyon_Kyrgystan.jpg)
Specimen Type: holotype Sex: m Institution: Danilevsky Collection Photographer: Lech Karpinski Collection Location: Chatkal River Canyon, Kyrgystan 73283
|
_Danilevsky_Coll_Chatkal_River_Canyon_Kyrgystan.jpg)
Specimen Type: paratype Sex: m Institution: Danilevsky Collection Photographer: Lech Karpinski Collection Location: Chatkal River Canyon, Kyrgystan 73284
|
|