_Bot_SS_MZSP_km2_Napo-Galeras_Road_Napo_EC_SS.jpg)
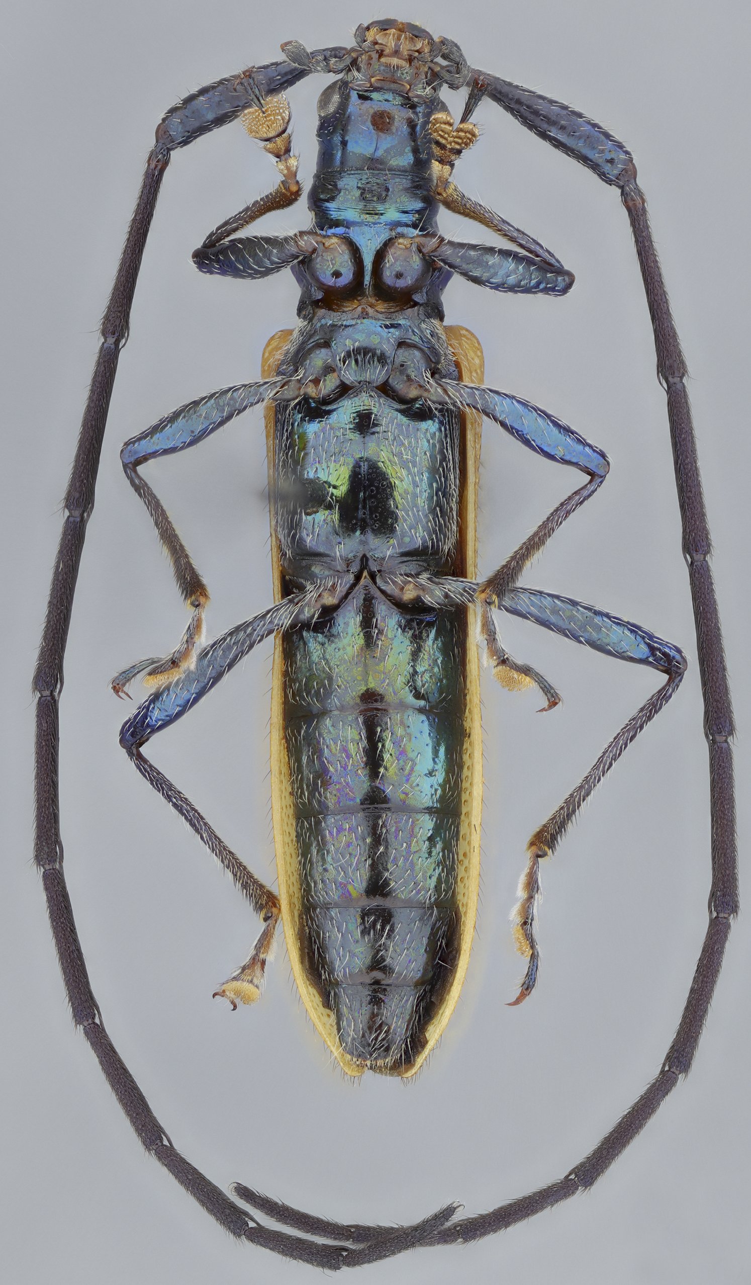
Specimen Type: holotype Sex: f Institution: MZSP Museu de Zoologia da Universidade de São Paulo, Brazil Photographer: Antonio Santos-Silva Collection Location: km 2, Napo-Galeras Road, Napo, Ecuador 73236
|
_Bot_SS_MZSP_km2_Napo-Galeras_Road_Napo_EC_SS.jpg)
Specimen Type: holotype Sex: f Institution: MZSP Museu de Zoologia da Universidade de São Paulo, Brazil Photographer: Antonio Santos-Silva Collection Location: km 2, Napo-Galeras Road, Napo, Ecuador 73237
|
_Bot_SS_MZSP_km2_Napo-Galeras_Road_Napo_EC_SS.jpg)
Specimen Type: holotype Sex: f Institution: MZSP Museu de Zoologia da Universidade de São Paulo, Brazil Photographer: Antonio Santos-Silva Collection Location: km 2, Napo-Galeras Road, Napo, Ecuador 73238
|
_Bot_SS_MZSP_km2_Napo-Galeras_Road_Napo_EC_SS.jpg)
Specimen Type: holotype Sex: f Institution: MZSP Museu de Zoologia da Universidade de São Paulo, Brazil Photographer: Antonio Santos-Silva Collection Location: km 2, Napo-Galeras Road, Napo, Ecuador 73239
|
|