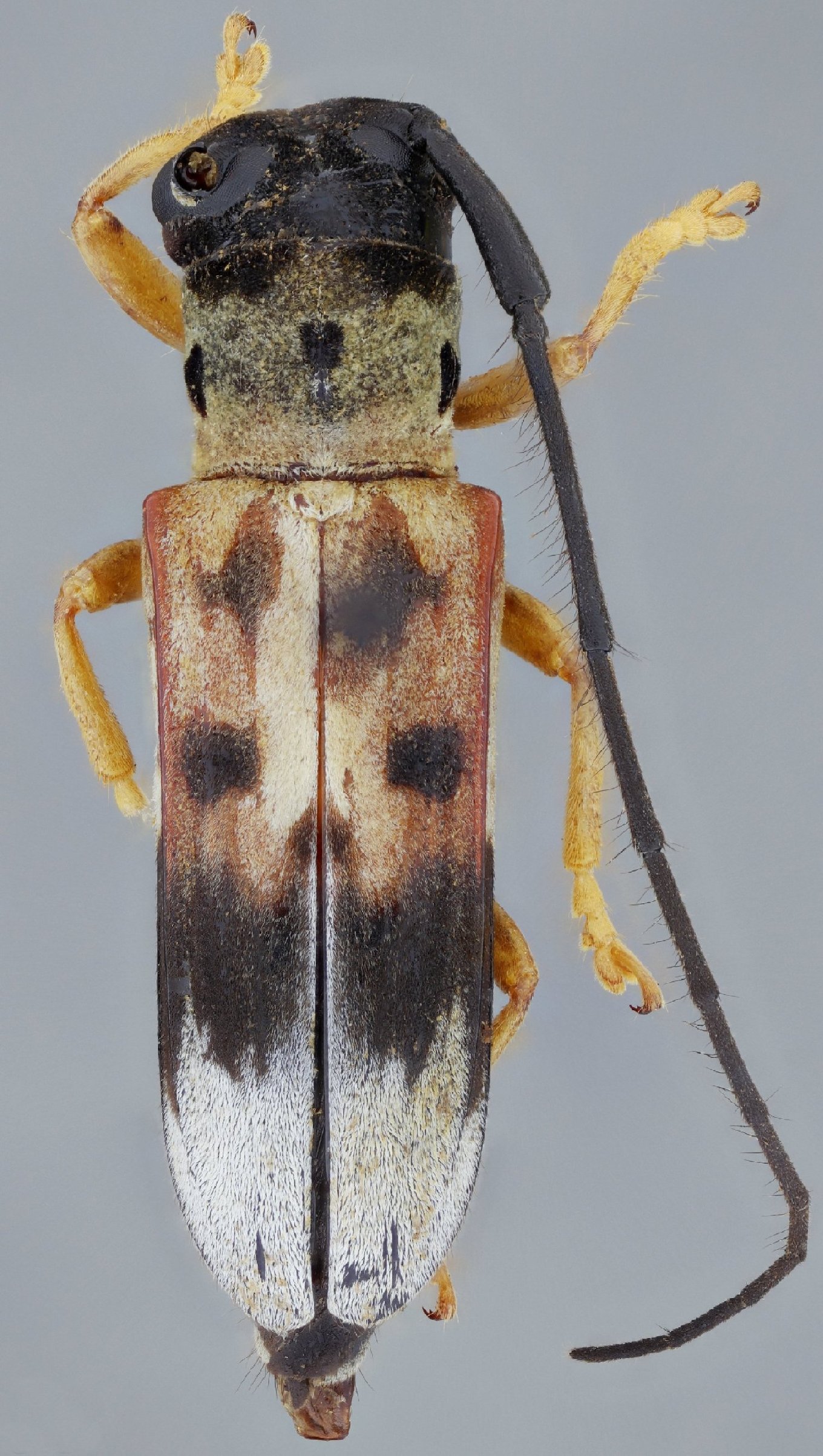
_SS_et_al_MZSP_Aracruz_ES_Brazil.jpg)
Specimen Type: holotype Sex: f Institution: MZSP Museu de Zoologia da Universidade de São Paulo, Brazil Photographer: Antonio Santos-Silva Collection Location: Aracruz, Espirito Santo, Brazil 72841
|
_SS_et_al_MZSP_Aracruz_ES_Brazil.jpg)
Specimen Type: holotype Sex: f Institution: MZSP Museu de Zoologia da Universidade de São Paulo, Brazil Photographer: Antonio Santos-Silva Collection Location: Aracruz, Espirito Santo, Brazil 72842
|
_SS_et_al_MZSP_Aracruz_ES_Brazil.jpg)
Specimen Type: holotype Sex: f Institution: MZSP Museu de Zoologia da Universidade de São Paulo, Brazil Photographer: Antonio Santos-Silva Collection Location: Aracruz, Espirito Santo, Brazil 72843
|
_SS_et_al_MZSP_Aracruz_ES_Brazil.jpg)
Specimen Type: holotype Sex: f Institution: MZSP Museu de Zoologia da Universidade de São Paulo, Brazil Photographer: Antonio Santos-Silva Collection Location: Aracruz, Espirito Santo, Brazil 72844
|
|