New Search Family, Subfamily and Tribe List

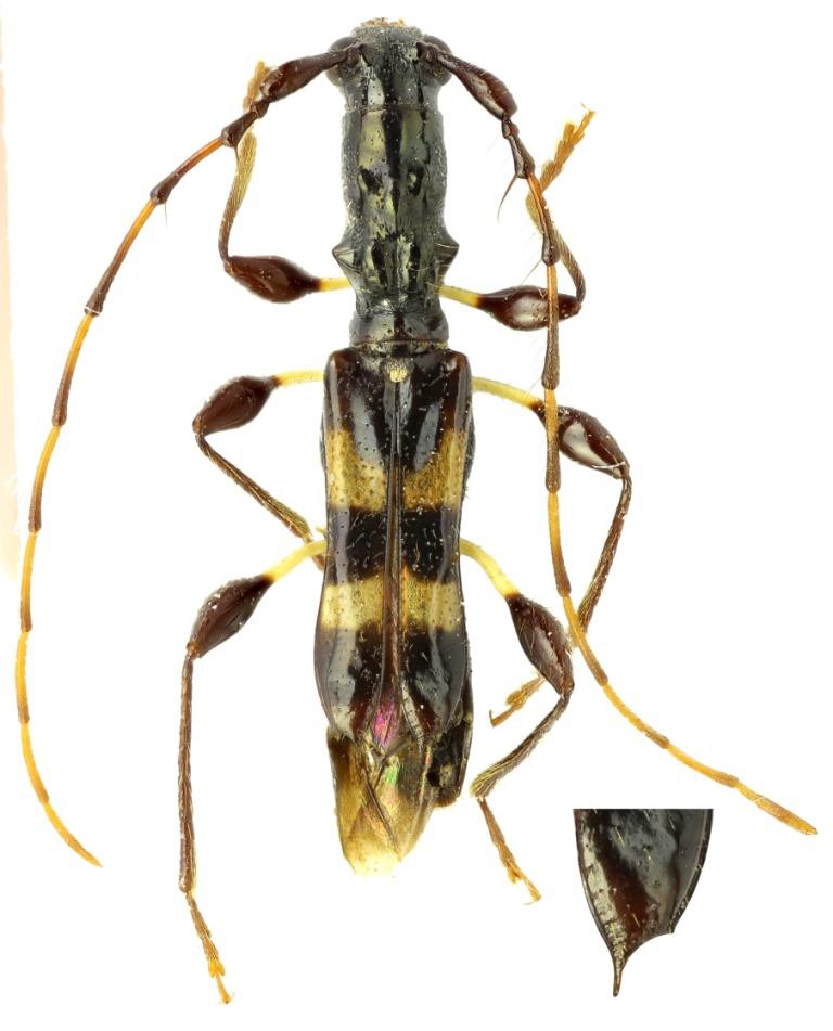
SubFamily Cerambycinae

Tribe Cleomenini
Procleomenes samarensis Barševskis 2019

Specimen Type: holotype
Sex: m
Institution: DUBC Daugavpils University, Coleopterological Research Center, Latvia
Photographer: Alexander Anichtchenko
Collection Location: Samar, Philippines
72280

130425