_SS_Botero_MSZP_Volcan_town_Chiriqui_Panama.jpg)
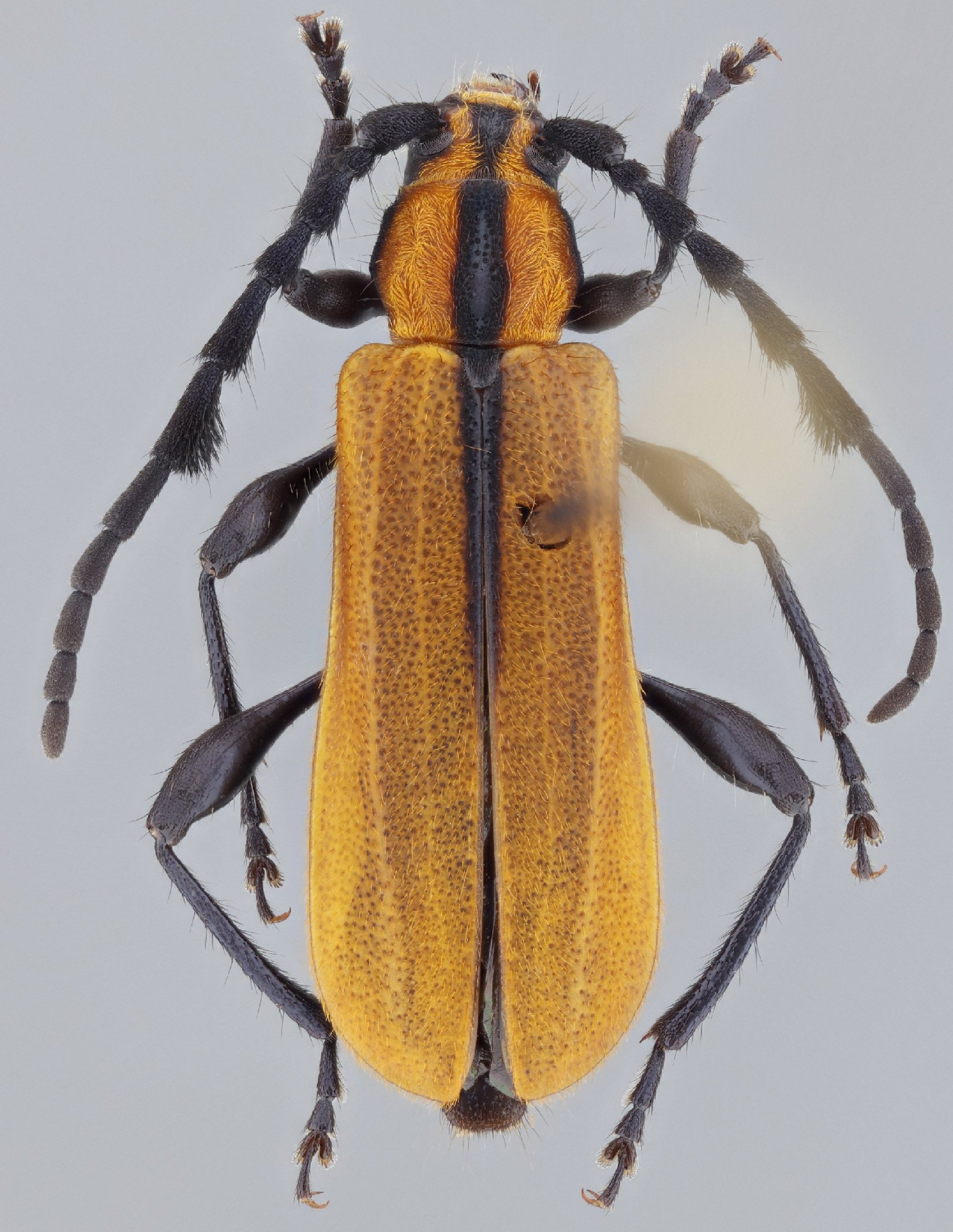
Specimen Type: holotype Sex: f Institution: MZSP Museu de Zoologia da Universidade de São Paulo, Brazil Photographer: Antonio Santos-Silva Collection Location: Volcan town, Chiriqui, Panama 72184
|
_SS_Botero_MSZP_Volcan_town_Chiriqui_Panama.jpg)
Specimen Type: holotype Sex: f Institution: MZSP Museu de Zoologia da Universidade de São Paulo, Brazil Photographer: Antonio Santos-Silva Collection Location: Volcan town, Chiriqui, Panama 72185
|
_SS_Botero_MSZP_Volcan_town_Chiriqui_Panama.jpg)
Specimen Type: holotype Sex: f Institution: MZSP Museu de Zoologia da Universidade de São Paulo, Brazil Photographer: Antonio Santos-Silva Collection Location: Volcan town, Chiriqui, Panama 72186
|
_SS_Botero_MSZP_Volcan_town_Chiriqui_Panama.jpg)
Specimen Type: holotype Sex: f Institution: MZSP Museu de Zoologia da Universidade de São Paulo, Brazil Photographer: Antonio Santos-Silva Collection Location: Volcan town, Chiriqui, Panama 72187
|
|