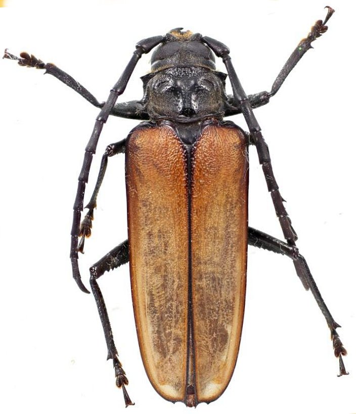
_Voitsekhovskii_Coll_Genyum_Jaya_Village_Jayapura_Province_PNG.jpg)
Specimen Type: holotype Sex: m Institution: Voitsekhovskii Collection Photographer: Voitsekhovskii Collection Location: Genyum Jaya Village, Jayapura Province, Papua New Guinea 72128
|
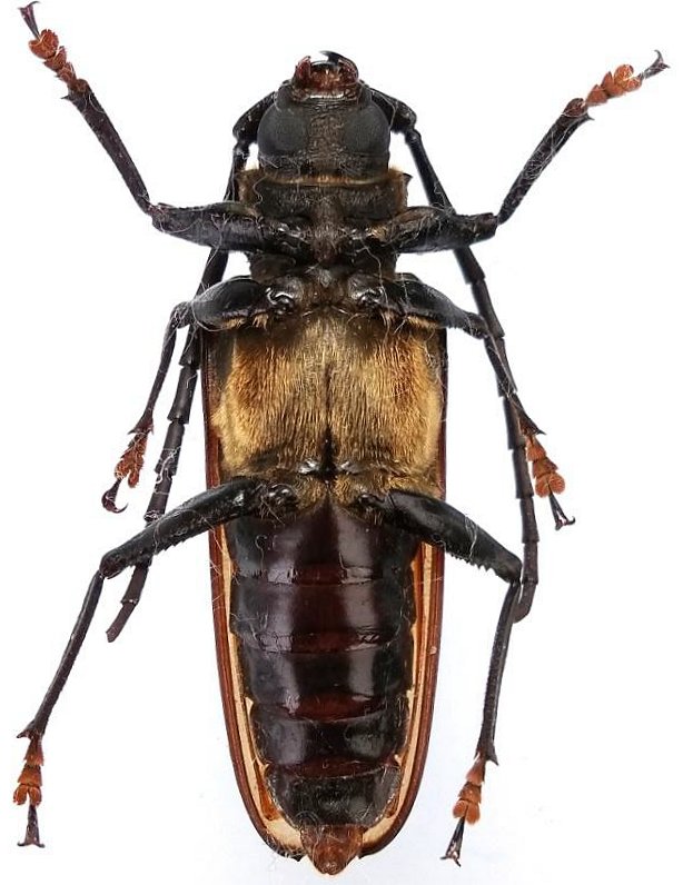
_Voitsekhovskii_Coll_Genyum_Jaya_Village_Jayapura_Province_PNG.jpg)
Specimen Type: holotype Sex: m Institution: Voitsekhovskii Collection Photographer: Voitsekhovskii Collection Location: Genyum Jaya Village, Jayapura Province, Papua New Guinea 72129
|