_Nasc_SS_McLarin_QCAZ_Baeza_Napo_Ecuador_SS.jpg)
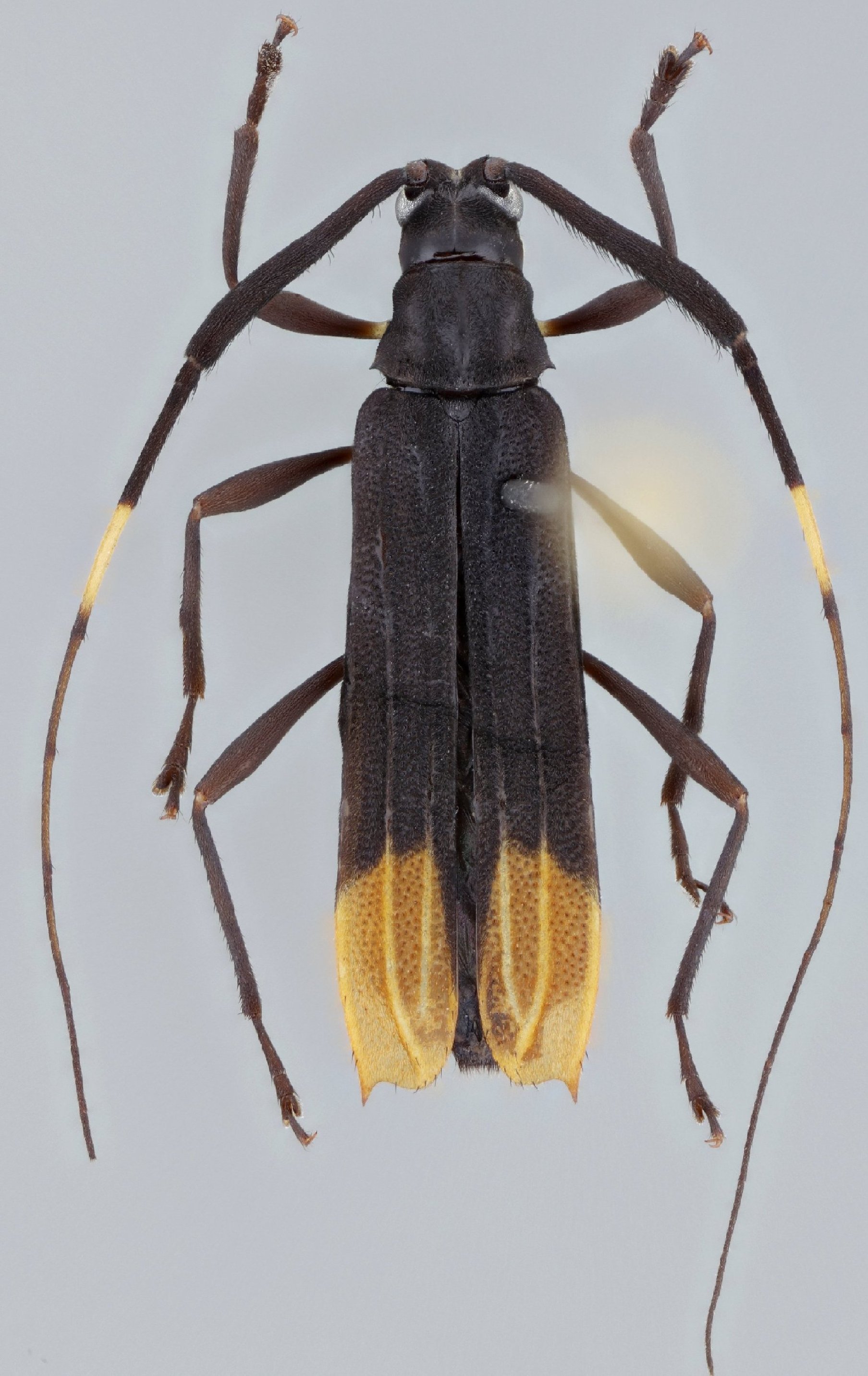
Specimen Type: holotype Sex: f Institution: QCAZ Museo Zoologia, Pontificia Universidad Catolica, Quito, Ecuador Photographer: Antonio Santos-Silva Collection Location: Baeza, Napo, Ecuador 72111
|
_Nasc_SS_McLarin_QCAZ_Baeza_Napo_Ecuador_SS.jpg)
Specimen Type: holotype Sex: f Institution: QCAZ Museo Zoologia, Pontificia Universidad Catolica, Quito, Ecuador Photographer: Antonio Santos-Silva Collection Location: Baeza, Napo, Ecuador 72112
|
_Nasc_SS_McLarin_QCAZ_Baeza_Napo_Ecuador_SS.jpg)
Specimen Type: holotype Sex: f Institution: QCAZ Museo Zoologia, Pontificia Universidad Catolica, Quito, Ecuador Photographer: Antonio Santos-Silva Collection Location: Baeza, Napo, Ecuador 72113
|
|