_Nasc_SS_McLarin_QCAZ_Cosanga_Napo_Ecuador_SS.jpg)
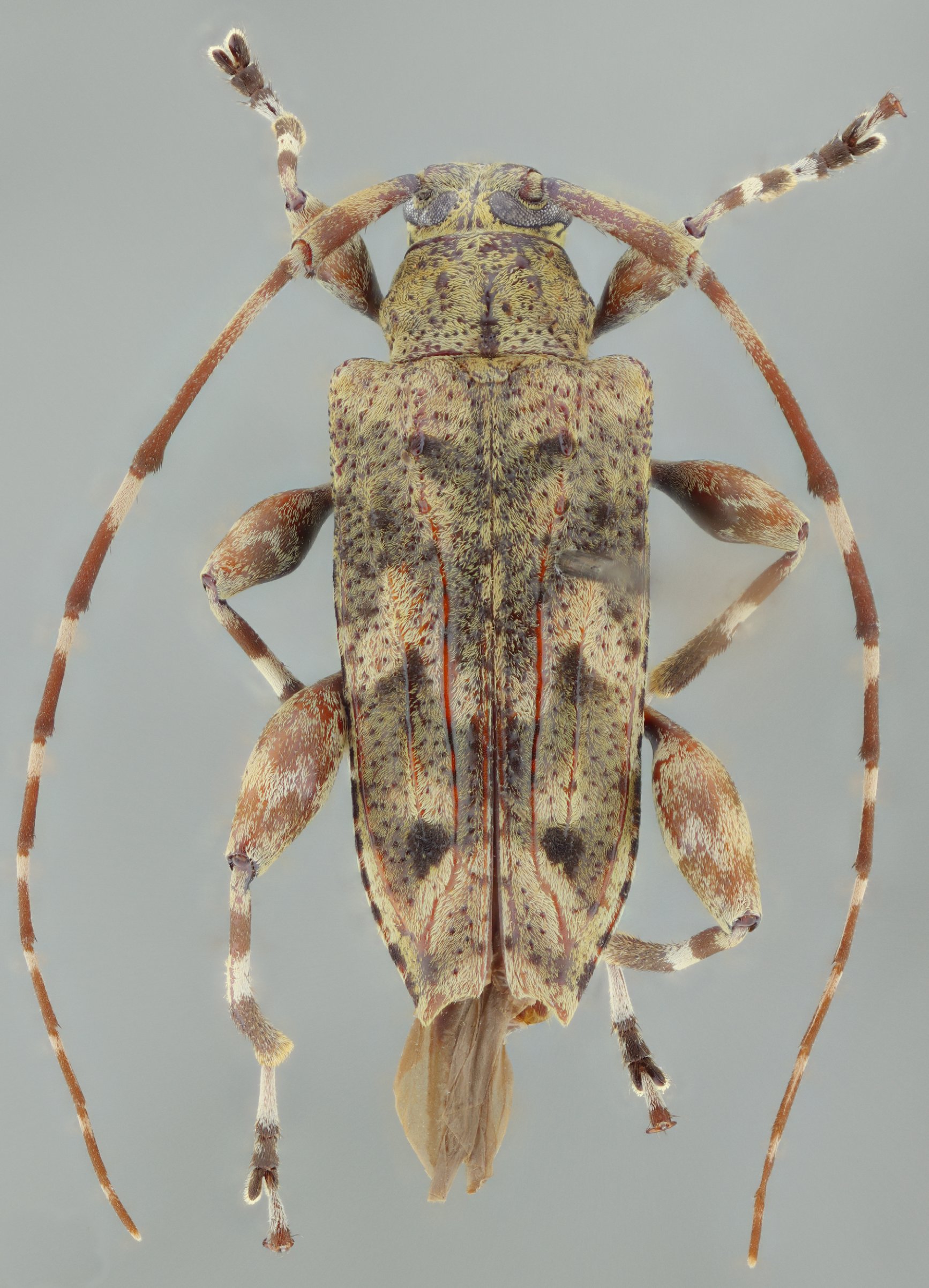
Specimen Type: holotype Sex: m Institution: QCAZ Museo Zoologia, Pontificia Universidad Catolica, Quito, Ecuador Photographer: Antonio Santos-Silva Collection Location: Cosanga, Napo, Ecuador 72105
|
_Nasc_SS_McLarin_QCAZ_Cosanga_Napo_Ecuador_SS.jpg)
Specimen Type: holotype Sex: m Institution: QCAZ Museo Zoologia, Pontificia Universidad Catolica, Quito, Ecuador Photographer: Antonio Santos-Silva Collection Location: Cosanga, Napo, Ecuador 72106
|
_Nasc_SS_McLarin_QCAZ_Cosanga_Napo_Ecuador_SS.jpg)
Specimen Type: holotype Sex: m Institution: QCAZ Museo Zoologia, Pontificia Universidad Catolica, Quito, Ecuador Photographer: Antonio Santos-Silva Collection Location: Cosanga, Napo, Ecuador 72107
|
_Nasc_SS_McLarin_QCAZ_Cosanga_Napo_Ecuador_SS.jpg)
Specimen Type: holotype Sex: m Institution: QCAZ Museo Zoologia, Pontificia Universidad Catolica, Quito, Ecuador Photographer: Antonio Santos-Silva Collection Location: Cosanga, Napo, Ecuador 72108
|
_Nasc_SS_McLarin_QCAZ_Cosanga_Napo_Ecuador_SS.jpg)
Specimen Type: paratype Sex: f Institution: QCAZ Museo Zoologia, Pontificia Universidad Catolica, Quito, Ecuador Photographer: Antonio Santos-Silva Collection Location: Cosanga, Napo, Ecuador 72109
|
_Nasc_SS_McLarin_QCAZ_Cosanga_Napo_Ecuador_SS.jpg)
Specimen Type: paratype Sex: f Institution: QCAZ Museo Zoologia, Pontificia Universidad Catolica, Quito, Ecuador Photographer: Antonio Santos-Silva Collection Location: Cosanga, Napo, Ecuador 72110
|
 Nasc SS McClarin MZSP Cosanga, Napo, Ecuador SS.jpg)
Specimen Type: paratype Sex: m Institution: MZSP Museu de Zoologia da Universidade de São Paulo, Brazil Photographer: Antonio Santos-Silva Collection Location: Cosanga, Napo, Ecuador 81106
|
|