_Vlasak_SS_Nasc_MZSP_Mindo_Pichincha_Ec_.jpg)
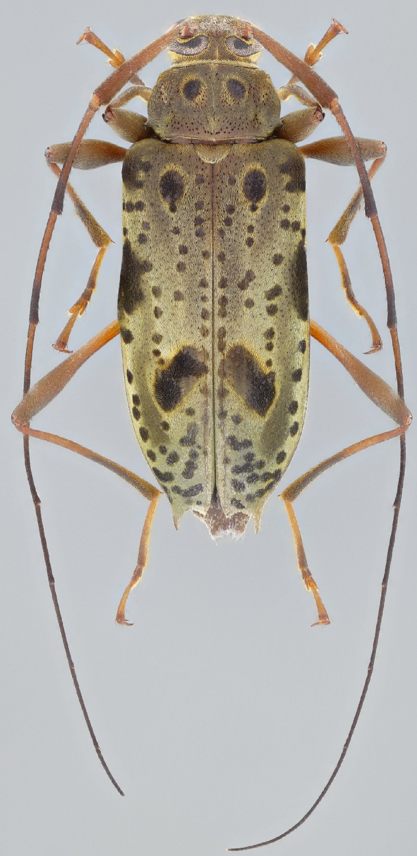
Specimen Type: holotype Sex: m Institution: MZSP Museu de Zoologia da Universidade de São Paulo, Brazil Photographer: Antonio Santos-Silva Collection Location: Mindo, Pichincha, Ecuador 72012
|
_Vlasak_SS_Nasc_MZSP_Mindo_Pichincha_Ec_.jpg.jpg)
Specimen Type: holotype Sex: m Institution: MZSP Museu de Zoologia da Universidade de São Paulo, Brazil Photographer: Antonio Santos-Silva Collection Location: Mindo, Pichincha, Ecuador 72013
|
_Vlasak_SS_Nasc_MZSP_Mindo_Pichincha_Ec_.jpg.jpg)
Specimen Type: holotype Sex: m Institution: MZSP Museu de Zoologia da Universidade de São Paulo, Brazil Photographer: Antonio Santos-Silva Collection Location: Mindo, Pichincha, Ecuador 72014
|
_Vlasak_SS_Nasc_MZSP_Mindo_Pichincha_Ec_.jpg.jpg)
Specimen Type: holotype Sex: m Institution: MZSP Museu de Zoologia da Universidade de São Paulo, Brazil Photographer: Antonio Santos-Silva Collection Location: Mindo, Pichincha, Ecuador 72015
|
_Vlasak_Coll_SS_Nasc_Mindo_Pichincha_Ec_.jpg.jpg)
Specimen Type: paratype Sex: f Institution: Vlasak Collection Photographer: Antonio Santos-Silva Collection Location: Mindo, Pichincha, Ecuador 72016
|
|