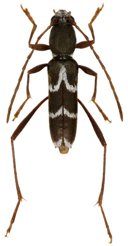
_Viktora_Liu_SCU_N_Sichuan_China_.jpg)
Specimen Type: holotype Sex: m Institution: SCU Sichuan University, Chengdu, China Photographer: Petr Viktora Collection Location: Xiaozhaizigou, 7 km W Qingpianxiang, N Sichuan, China 71238
|
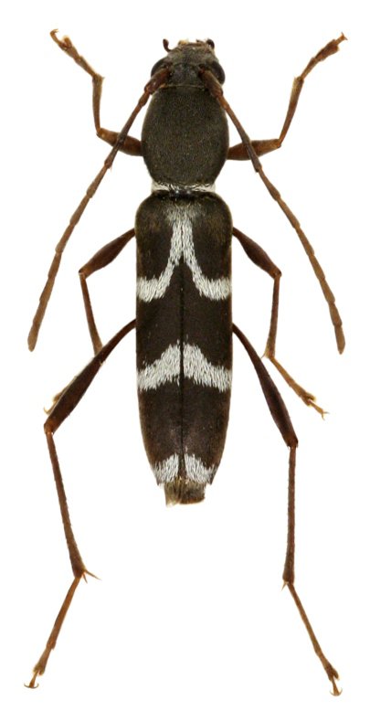
_Viktora_Liu_SCU_N_Sichuan_China_.jpg)
Specimen Type: paratype Sex: f Institution: SCU Sichuan University, Chengdu, China Photographer: Petr Viktora Collection Location: Xiaozhaizigou, 7 km W Qingpianxiang, N Sichuan, China 71239
|