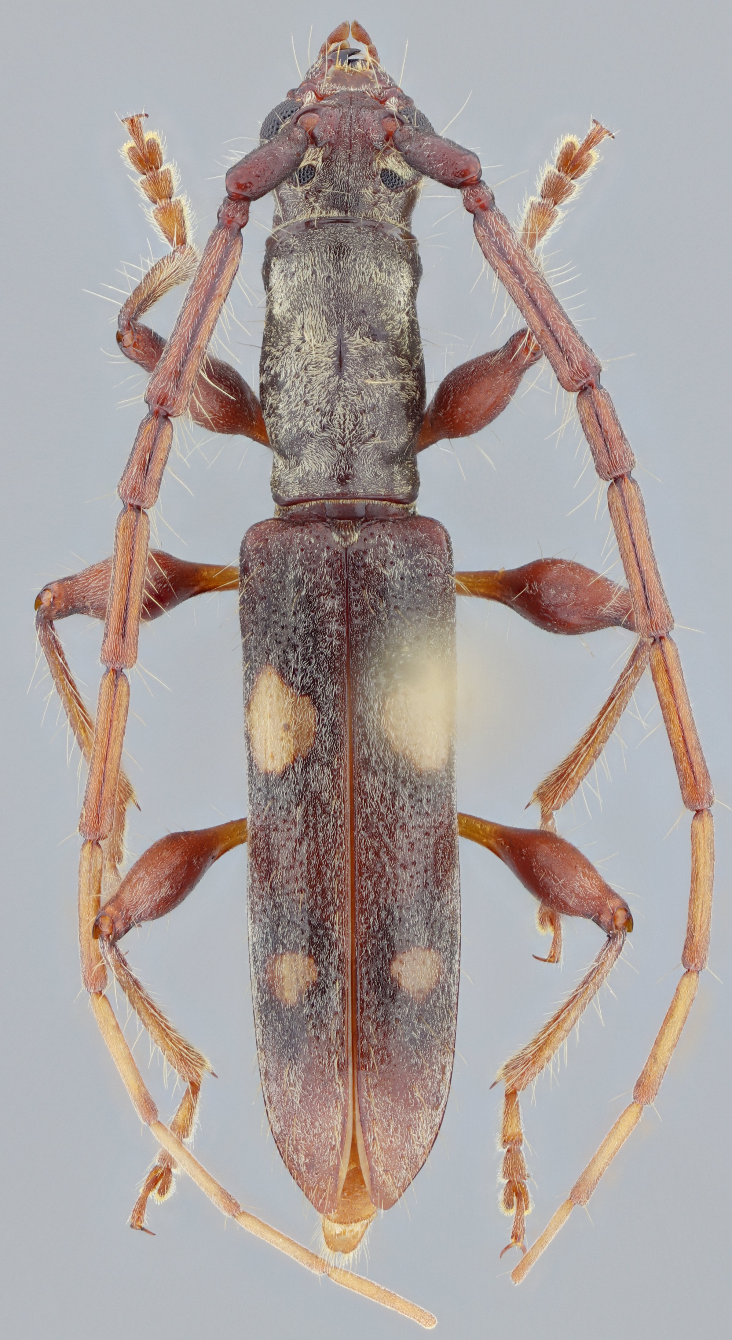
_Heff_Bot_SS_TAMU_Santa_Ana_NWR_Hidalgo_Co_Texas_SS.jpg)
Specimen Type: holotype Sex: m Institution: TAMU Texas A & M University, College Station, Texas, USA Photographer: Antonio Santos-Silva Collection Location: Santa Ana National Wildlife Refuge, Hidalgo County, Texas 70993
|
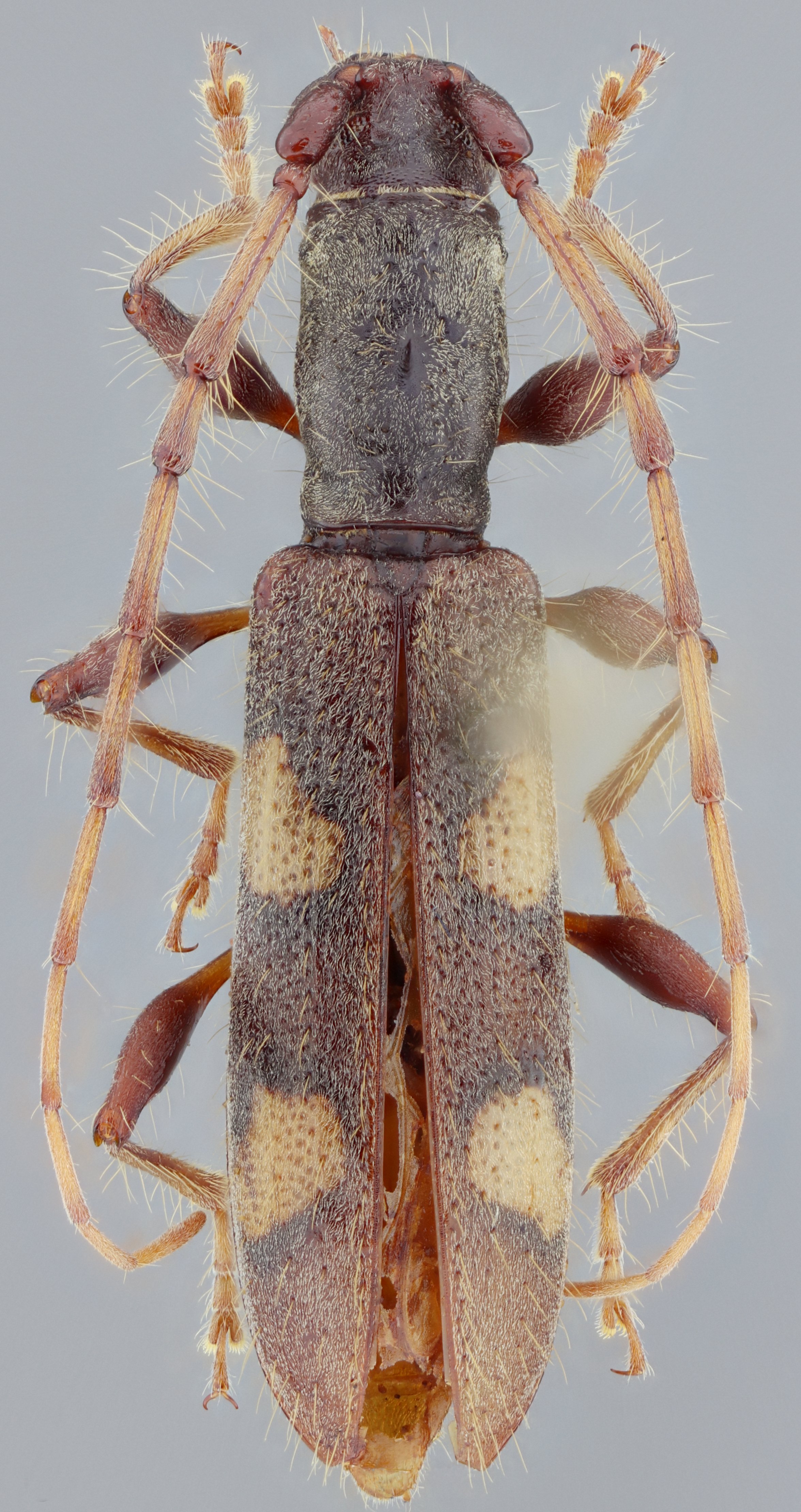
_Heff_Bot_SS_TAMU_Santa_Ana_NWR_Hidalgo_Co_Texas_SS.jpg)
Specimen Type: holotype Sex: m Institution: TAMU Texas A & M University, College Station, Texas, USA Photographer: Antonio Santos-Silva Collection Location: Santa Ana National Wildlife Refuge, Hidalgo County, Texas 70994
|
_Heff_Bot_SS_TAMU_Santa_Ana_NWR_Hidalgo_Co_Texas_SS.jpg)
Specimen Type: holotype Sex: m Institution: TAMU Texas A & M University, College Station, Texas, USA Photographer: Antonio Santos-Silva Collection Location: Santa Ana National Wildlife Refuge, Hidalgo County, Texas 70995
|
_Heff_Bot_SS_TAMU_Santa_Ana_NWR_Hidalgo_Co_Texas_SS.jpg)
Specimen Type: holotype Sex: m Institution: TAMU Texas A & M University, College Station, Texas, USA Photographer: Antonio Santos-Silva Collection Location: Santa Ana National Wildlife Refuge, Hidalgo County, Texas 70996
|
_Heff_Bot_SS_TAMU_Santa_Ana_NWR_Hidalgo_Co_Texas_SS.jpg)
Specimen Type: paratype Sex: f Institution: TAMU Texas A & M University, College Station, Texas, USA Photographer: Antonio Santos-Silva Collection Location: Santa Ana National Wildlife Refuge, Hidalgo County, Texas 70997
|
|