New Search Family, Subfamily and Tribe List

SubFamily Lepturinae

Tribe Lepturini
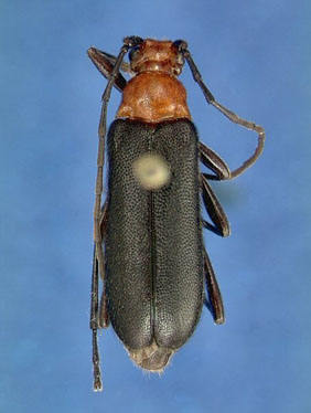
Charisalia americana (Haldeman, 1847)

Institution: FSCA Florida State Collection of Arthropods, Gainesville, FL, USA
Photographer: Mike Thomas
620


Photographer: Larry G. Bezark
621

130425