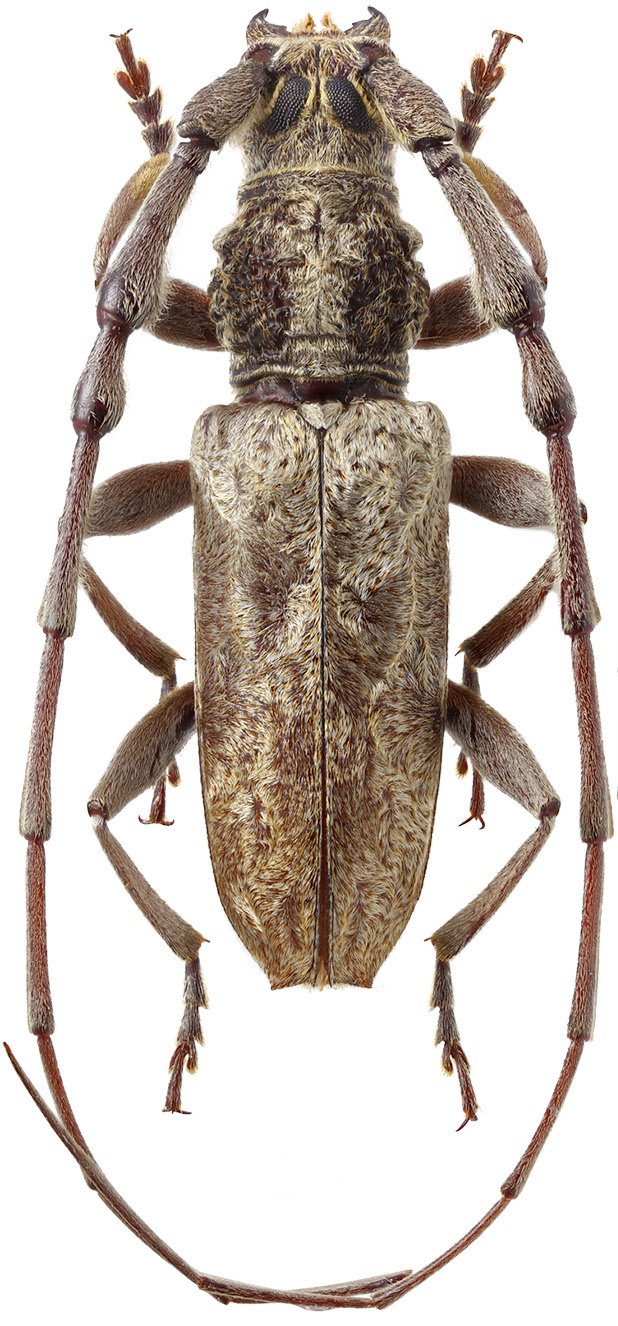
_Miroshnikov_Dembicky_Coll_11kmSE_Kotagiri_Kunchappanai_Tamil_Nadu_India.jpg)
Specimen Type: holotype Sex: m Institution: Dembicky Collection Photographer: Miroshnikov Collection Location: 11 km SE Kotagiri, Kunchappanai, Tamil Nadu, India 70780
|
_Miroshnikov_Coll_11kmSE_Kotagiri_Kunchappanai_Tamil_Nadu_India.jpg)
Specimen Type: paratype Sex: f Institution: Miroshnikov Collection Photographer: Miroshnikov Collection Location: 11 km SE Kotagiri, Kunchappanai, Tamil Nadu, India 70781
|