_Wappes_SS_FSCA_vicAgua_Blanca_Alta_Verapaz_Guatemala_SS.jpg)
Specimen Type: holotype Sex: f Institution: FSCA Florida State Collection of Arthropods, Gainesville, FL, USA Photographer: Antonio Santos-Silva Collection Location: vic Agua Blanca, Alta Verapaz, Guatemala 70539
|
_Wappes_SS_FSCA_vicAgua_Blanca_Alta_Verapaz_Guatemala_SS.jpg)
Specimen Type: holotype Sex: f Institution: FSCA Florida State Collection of Arthropods, Gainesville, FL, USA Photographer: Antonio Santos-Silva Collection Location: vic Agua Blanca, Alta Verapaz, Guatemala 70540
|
_Wappes_SS_FSCA_vicAgua_Blanca_Alta_Verapaz_Guatemala_SS.jpg)
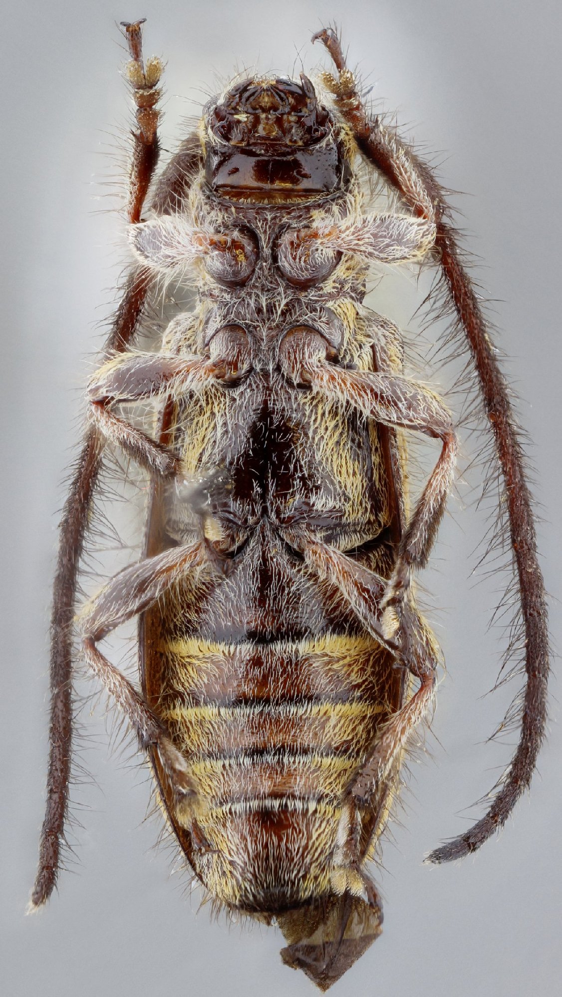
Specimen Type: holotype Sex: f Institution: FSCA Florida State Collection of Arthropods, Gainesville, FL, USA Photographer: Antonio Santos-Silva Collection Location: vic Agua Blanca, Alta Verapaz, Guatemala 70541
|
_Wappes_SS_FSCA_vicAgua_Blanca_Alta_Verapaz_Guatemala_SS.jpg)
Specimen Type: holotype Sex: f Institution: FSCA Florida State Collection of Arthropods, Gainesville, FL, USA Photographer: Antonio Santos-Silva Collection Location: vic Agua Blanca, Alta Verapaz, Guatemala 70542
|
|