_Casey_USNM.jpg)
Specimen Type: holotype Sex: m Institution: NMNH United States National Museum, Washington, DC, USA Collection Location: San Diego, California 25645
|
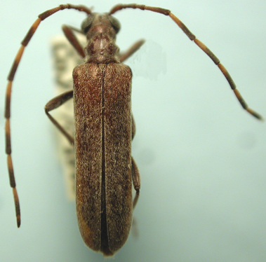
_Van_Dyke_CAS_2442_LGB_=_Centrodera_tenera.jpg)
Centrodera pilosa Van Dyke Specimen Type: holotype Sex: m Institution: CAS California Academy of Sciences, San Francisco, CA, USA Photographer: Larry G. Bezark Collection Location: Sierra Madre Mountains, Los Angeles County, California 20148
|