_Yang_Yang_GNU_Leishan_Co_Guizhou_China_Yang_pic.jpg)
Specimen Type: holotype Sex: m Institution: Guizhou Normal University, Guiyang, China Photographer: Yang Collection Location: Queniao Tea Farm, Queniao Village, Leishan County, Guizhou, China 70431
|
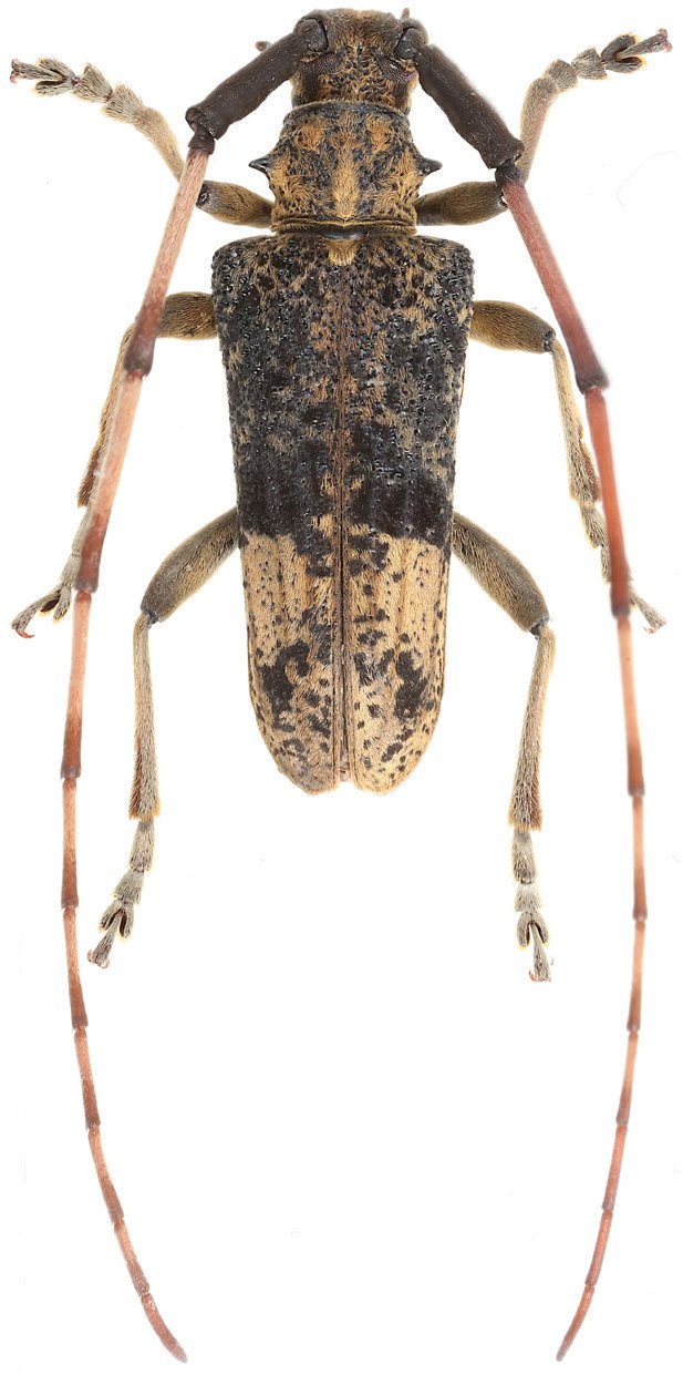
_Yang_Yang_GNU_Leishan_Co_Guizhou_China_Yang_pic.jpg)
Specimen Type: paratype Sex: f Institution: Guizhou Normal University, Guiyang, China Photographer: Yang Collection Location: Queniao Tea Farm, Queniao Village, Leishan County, Guizhou, China 70432
|