_LeConte_MCZ_=_Centrodera.jpg)
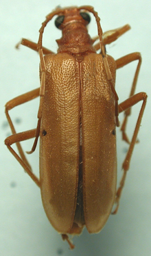
Toxotus spurcus LeConte Specimen Type: holotype Sex: f Institution: MCZ Museum of Comparative Zoology, Harvard University, Cambridge, MA, USA Photographer: P. Naskrecki, P. Perkins, and B. Farrell Collection Location: Steilacoom, Pierce County (southwest of Tacoma), Washington 3128
|
_LeConte_MCZ_=_Centrodera.jpg)
Toxotus spurcus LeConte Specimen Type: holotype Sex: f Institution: MCZ Museum of Comparative Zoology, Harvard University, Cambridge, MA, USA Photographer: P. Naskrecki, P. Perkins, and B. Farrell Collection Location: Steilacoom, Pierce County (southwest of Tacoma), Washington 3129
|
_LeConte_MCZ_=_Centrodera.jpg)
Toxotus spurcus LeConte Specimen Type: holotype Sex: f Institution: MCZ Museum of Comparative Zoology, Harvard University, Cambridge, MA, USA Photographer: P. Naskrecki, P. Perkins, and B. Farrell Collection Location: Steilacoom, Pierce County (southwest of Tacoma), Washington 3130
|
_LeConte_MCZ_=_Centrodera.jpg)
Toxotus spurcus LeConte Specimen Type: holotype Sex: f Institution: MCZ Museum of Comparative Zoology, Harvard University, Cambridge, MA, USA Photographer: P. Naskrecki, P. Perkins, and B. Farrell Collection Location: Steilacoom, Pierce County (southwest of Tacoma), Washington 3131
|
_LGB.jpg)
Photographer: Larry G. Bezark 612
|
|