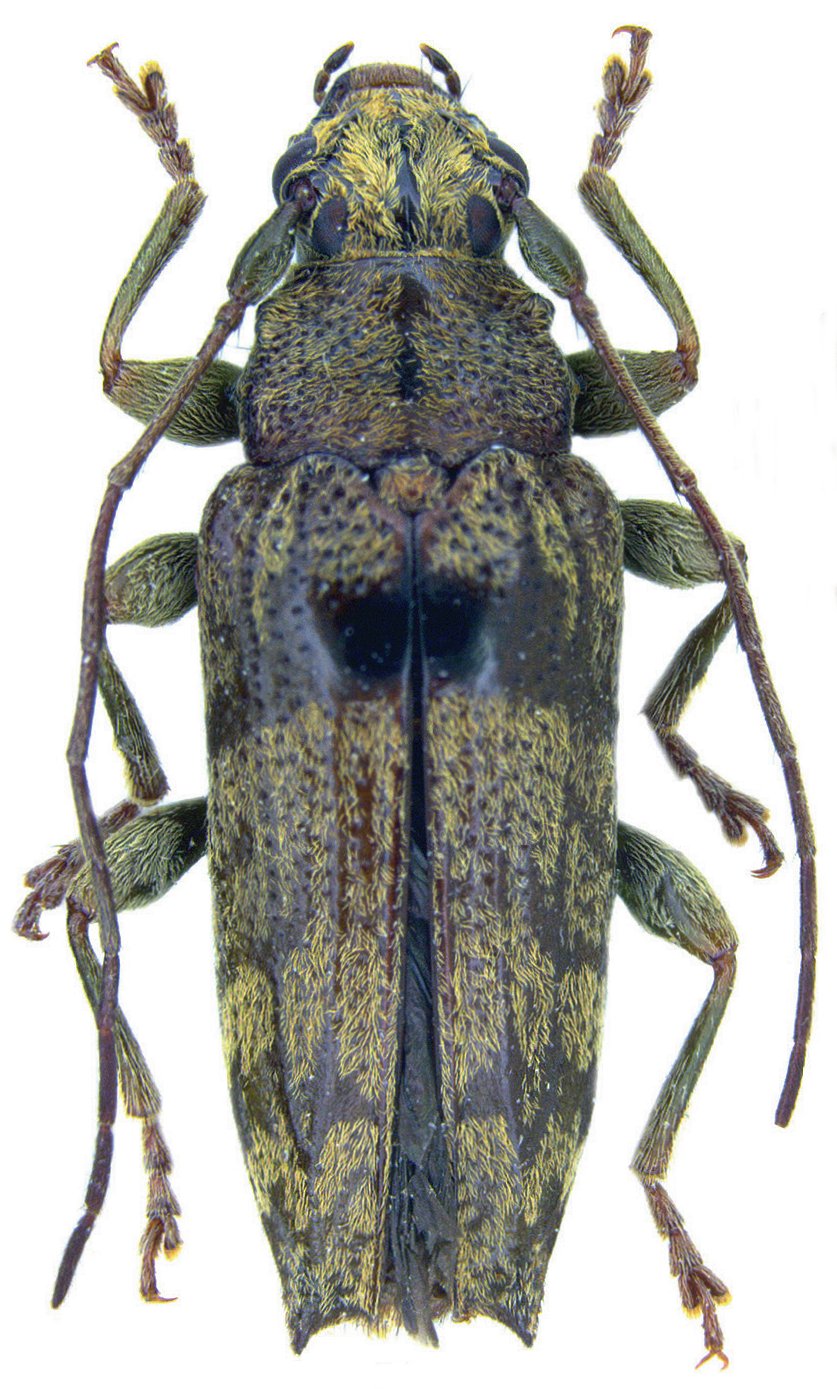
 Weigel NME Bime, Jayawijaya-Province Irian Jaya.jpg)
Specimen Type: holotype Sex: m Institution: NKME Naturkundemuseum Erfurt, Germany Photographer: Andreas Weigel Collection Location: Bime, Jayawijaya-Province, Irian Jaya 75790
|
 Weigel NME Bime, Jayawijaya-Province Irian Jaya.jpg)
Specimen Type: holotype Sex: m Institution: NKME Naturkundemuseum Erfurt, Germany Photographer: Andreas Weigel Collection Location: Bime, Jayawijaya-Province, Irian Jaya 75791
|
 Weigel NME Bime, Jayawijaya-Province Irian Jaya.jpg)
Specimen Type: holotype Sex: m Institution: NKME Naturkundemuseum Erfurt, Germany Photographer: Andreas Weigel Collection Location: Bime, Jayawijaya-Province, Irian Jaya 75792
|
|