New Search Family, Subfamily and Tribe List

SubFamily Lepturinae

Tribe Rhagiini
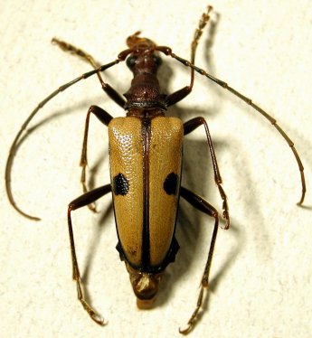
Centrodera quadrimaculata (Champlain & Knull, 1922)

Sex: m
24209


Institution: Bob Androw collection
Photographer: Ken Karns
Collection Location: Vinton County, Ohio
27640

130425