New Search Family, Subfamily and Tribe List

SubFamily Lepturinae

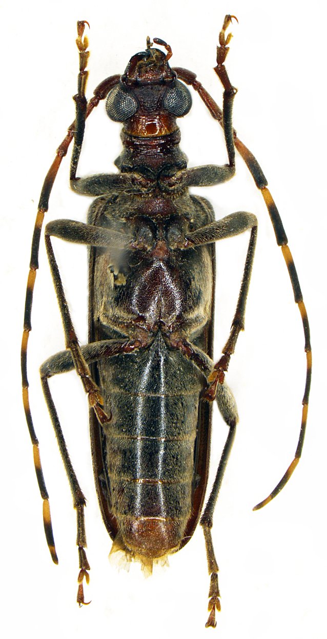
Tribe Rhagiini
Centrodera nevadica arizonica Linsley & Chemsak 1972

Photographer: Steve Lingafelter
Collection Location: Wet Canyon Bridge, Mount Graham, Graham County, Arizona
77634


Photographer: Steve Lingafelter
Collection Location: Wet Canyon Bridge, Mount Graham, Graham County, Arizona
77635

130425