New Search Family, Subfamily and Tribe List

SubFamily Lamiinae

Tribe Pteropliini
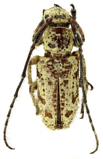
Synixais mindoroensis Barševskis 2019

Specimen Type: holotype
Sex: f
Institution: DUBC Daugavpils University, Coleopterological Research Center, Latvia
Photographer: Anita Rukmane
Collection Location: Baco, Mindoro, Philippines
72308

130425