New Search Family, Subfamily and Tribe List

SubFamily Lepturinae

Tribe Rhagiini
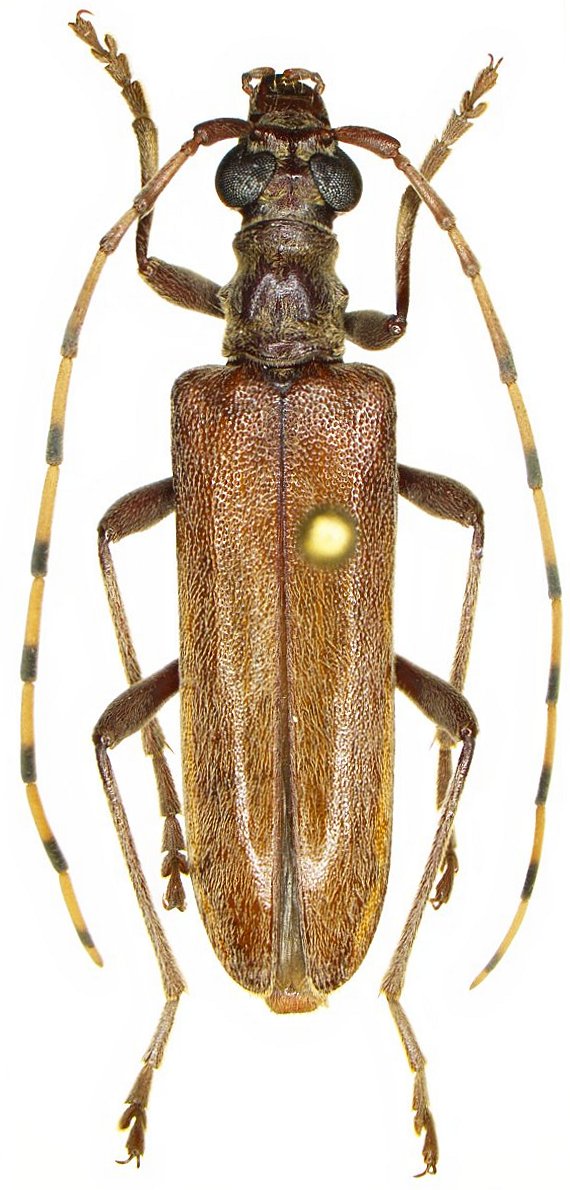
Centrodera nevadica nevadica LeConte 1873

Photographer: Steve Lingafelter
Collection Location: Holiday Group Campground, Ventura County, California
77632


Photographer: Steve Lingafelter
Collection Location: Holiday Group Campground, Ventura County, California
77633


Photographer: Larry G. Bezark
608

130425