_Bot_Gal_SS_ICN_Apiay_Meta_Colombia.jpg)
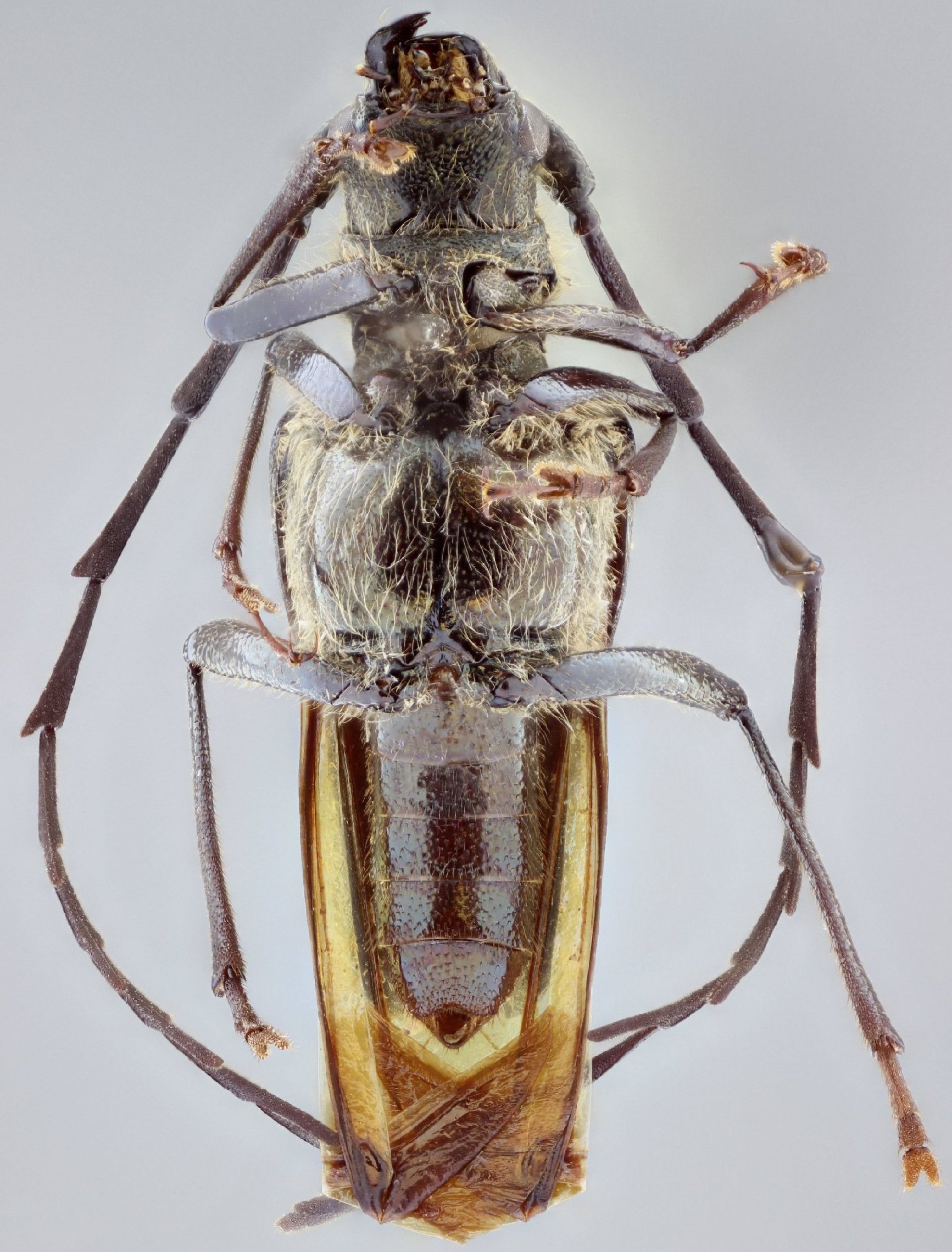
Specimen Type: holotype Sex: m Institution: ICN Instituto de Ciencias Naturales, Universidad Nacional de Colombia, Bogotá Photographer: Antonio Santos-Silva Collection Location: Apiay, Meta, Colombia 70401
|
_Bot_Gal_SS_ICN_Apiay_Meta_Colombia.jpg)
Specimen Type: holotype Sex: m Institution: ICN Instituto de Ciencias Naturales, Universidad Nacional de Colombia, Bogotá Photographer: Antonio Santos-Silva Collection Location: Apiay, Meta, Colombia 70402
|
_Bot_Gal_SS_ICN_Apiay_Meta_Colombia.jpg)
Specimen Type: holotype Sex: m Institution: ICN Instituto de Ciencias Naturales, Universidad Nacional de Colombia, Bogotá Photographer: Antonio Santos-Silva Collection Location: Apiay, Meta, Colombia 70403
|
_Bot_Gal_SS_ICN_Apiay_Meta_Colombia.jpg)
Specimen Type: holotype Sex: m Institution: ICN Instituto de Ciencias Naturales, Universidad Nacional de Colombia, Bogotá Photographer: Antonio Santos-Silva Collection Location: Apiay, Meta, Colombia 70404
|
|